New Search Family, Subfamily and Tribe List

SubFamily Parandrinae

Tribe Parandrini
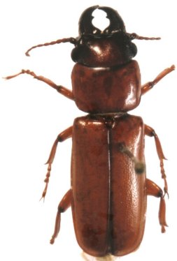
Parandra scaritoides Thomson 1861

Sex: m
Photographer: Antonio Santos-Silva
Collection Location: Colombia
28519

130425