_Br_ZMHB_Yautepec_Morelos_Mexico_Bernd_Jaeger.jpg)
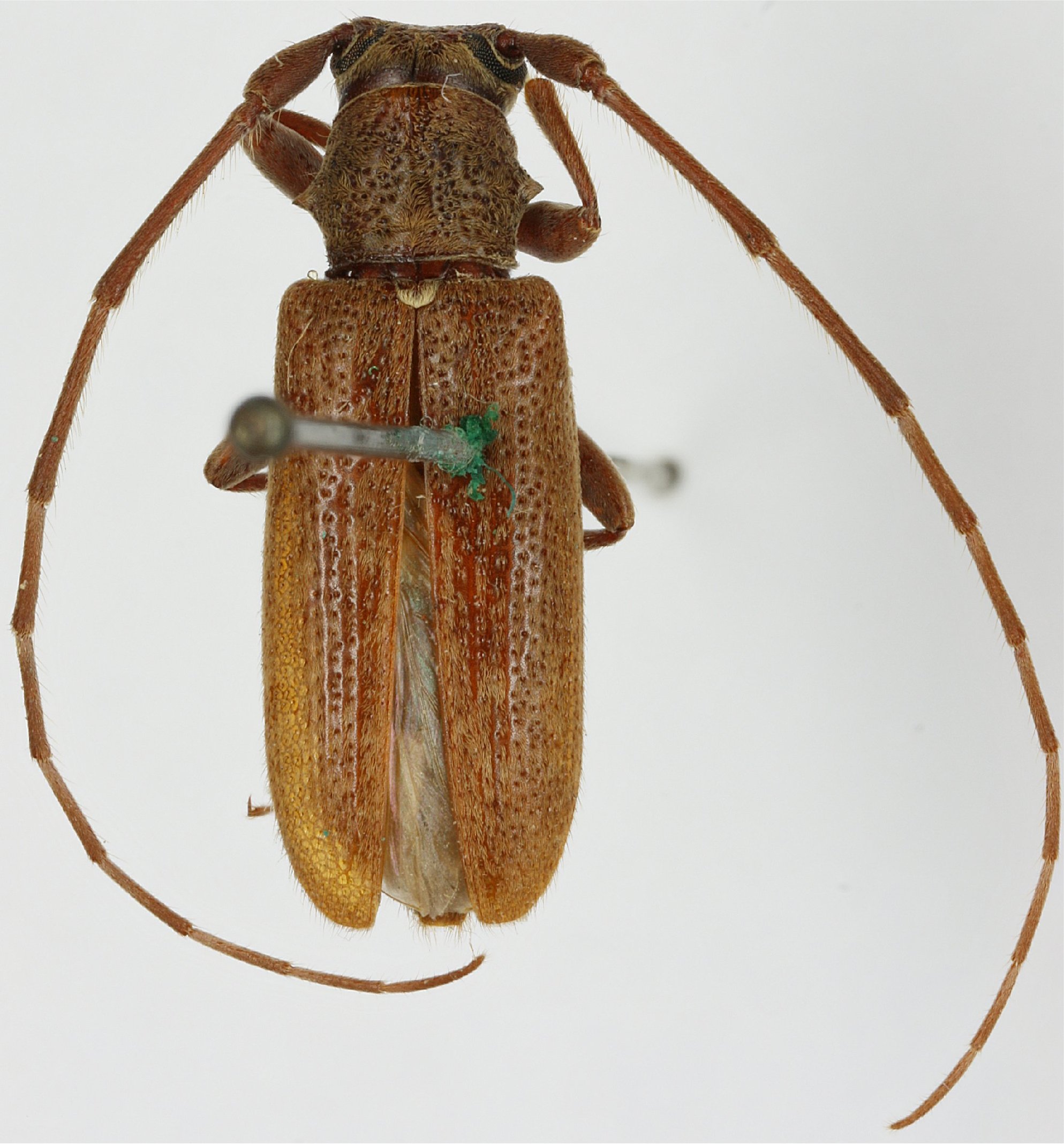
Pseudestoloides hiekei Breuning Specimen Type: holotype Sex: m Institution: ZMHB Museum für Naturkunde der Humboldt-Universität, Berlin, Germany Photographer: Bernd Jaeger Collection Location: Yautepec, Morelos, Mexico 63817
|
_Br_ZMHB_Yautepec_Morelos_Mexico_Bernd_Jaeger.jpg)
Pseudestoloides hiekei Breuning Specimen Type: holotype Sex: m Institution: ZMHB Museum für Naturkunde der Humboldt-Universität, Berlin, Germany Photographer: Bernd Jaeger Collection Location: Yautepec, Morelos, Mexico 63818
|
_Br_ZMHB_Yautepec_Morelos_Mexico_Bernd_Jaeger.jpg)
Pseudestoloides hiekei Breuning Specimen Type: holotype Sex: m Institution: ZMHB Museum für Naturkunde der Humboldt-Universität, Berlin, Germany Photographer: Bernd Jaeger Collection Location: Yautepec, Morelos, Mexico 63819
|
_Br_ZMHB_Yautepec_Morelos_Mexico_Bernd_Jaeger.jpg)
Pseudestoloides hiekei Breuning Specimen Type: holotype Sex: m Institution: ZMHB Museum für Naturkunde der Humboldt-Universität, Berlin, Germany Photographer: Bernd Jaeger Collection Location: Yautepec, Morelos, Mexico 63820
|
_Br_ZMHB_Yautepec_Morelos_Mexico_Bernd_Jaeger.jpg)
Pseudestoloides hiekei Breuning Specimen Type: paratype Sex: f Institution: ZMHB Museum für Naturkunde der Humboldt-Universität, Berlin, Germany Photographer: Bernd Jaeger Collection Location: Yautepec, Morelos, Mexico 63821
|
|