New Search Family, Subfamily and Tribe List

SubFamily Lamiinae

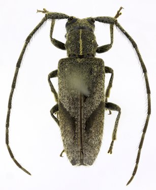
Tribe Desmiphorini
Ischnolea piim Galileo & Martins 1996

Specimen Type: holotype
Institution: MNRJ Museu Nacional Universidade do Rio Janeiro, Brazil
Photographer: Steve Lingafelter
8795


Photographer: Jim Wappes
Collection Location: Bolivia
8796


Photographer: Alicia M. Hodson
42258

130425