_Breun_BMNH_Capetillo_Sacatepequez_Guat_LGB.jpg)
Specimen Type: holotype Institution: BMNH British Museum Natural History, London, UK Photographer: Larry G. Bezark Collection Location: Capetillo, Sacatepequez, Guatemala 16577
|
_Breuning_BMNH_JAC.jpg)
Specimen Type: holotype Institution: BMNH British Museum Natural History, London, UK Photographer: John Chemsak Collection Location: Capetillo, Sacatepequez, Guatemala 16576
|
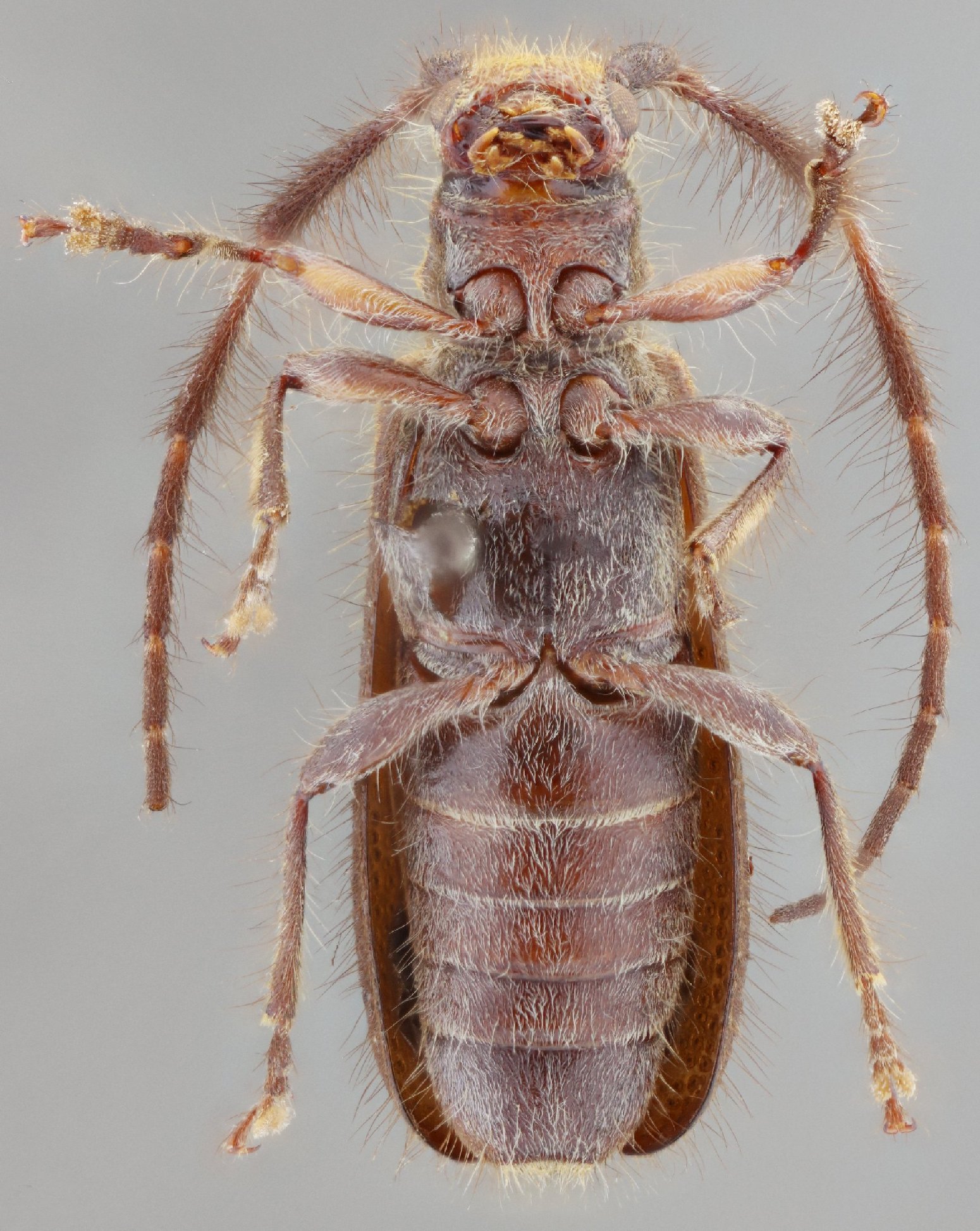
_Br_FSCA_3kmS_Santa_Maria_Quetzaltenango_Guatemala_SS.jpg)
Sex: f Institution: FSCA Florida State Collection of Arthropods, Gainesville, FL, USA Photographer: Antonio Santos-Silva Collection Location: 3 km S Santa Maria, Quetzaltenango, Guatemala 75449
|
_Br_FSCA_3kmS_Santa_Maria_Quetzaltenango_Guatemala_SS.jpg)
Sex: f Institution: FSCA Florida State Collection of Arthropods, Gainesville, FL, USA Photographer: Antonio Santos-Silva Collection Location: 3 km S Santa Maria, Quetzaltenango, Guatemala 75450
|
_Br_FSCA_3kmS_Santa_Maria_Quetzaltenango_Guatemala_SS.jpg)
Sex: f Institution: FSCA Florida State Collection of Arthropods, Gainesville, FL, USA Photographer: Antonio Santos-Silva Collection Location: 3 km S Santa Maria, Quetzaltenango, Guatemala 75451
|
_Br_FSCA_3kmS_Santa_Maria_Quetzaltenango_Guatemala_SS.jpg)
Sex: f Institution: FSCA Florida State Collection of Arthropods, Gainesville, FL, USA Photographer: Antonio Santos-Silva Collection Location: 3 km S Santa Maria, Quetzaltenango, Guatemala 75452
|
|