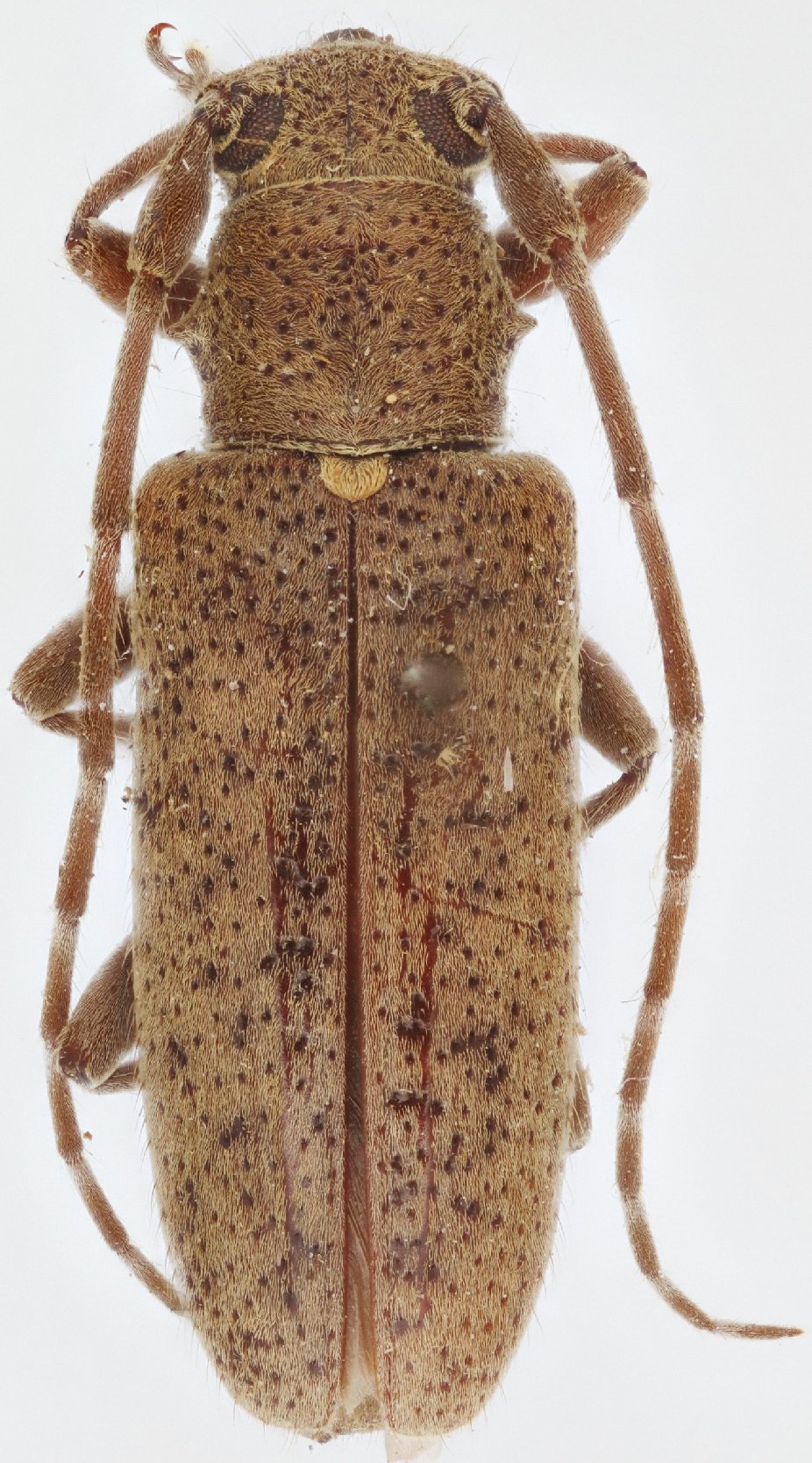
_costaricensis_Br_ZMHB_ID_by_Breuning_Bernd_Jaeger.jpg)
Institution: ZMHB Museum für Naturkunde der Humboldt-Universität, Berlin, Germany Photographer: Bernd Jaeger Determiner: Breuning Collection Location: Piedras Negras, San Jose, Costa Rica 63951
|
_costaricensis_(vent)_Br_ZMHB_ID_by_Breuning_Bernd_Jaeger.jpg)
Institution: ZMHB Museum für Naturkunde der Humboldt-Universität, Berlin, Germany Photographer: Bernd Jaeger Determiner: Breuning Collection Location: Piedras Negras, San Jose, Costa Rica 63952
|
_costaricensis_(lat)_Br_ZMHB_ID_by_Breuning_Bernd_Jaeger.jpg)
Institution: ZMHB Museum für Naturkunde der Humboldt-Universität, Berlin, Germany Photographer: Bernd Jaeger Determiner: Breuning Collection Location: Piedras Negras, San Jose, Costa Rica 63953
|
_costaricensis_(labels)_Br_ZMHB_ID_by_Breuning_Bernd_Jaeger.jpg)
Institution: ZMHB Museum für Naturkunde der Humboldt-Universität, Berlin, Germany Photographer: Bernd Jaeger Determiner: Breuning Collection Location: Piedras Negras, San Jose, Costa Rica 63958
|
_Br_NHMB_ID_by_Breuning.jpg)
Sex: f Institution: NHMB Naturhistorisches Museum, Basel, Switzerland Determiner: Breuning Collection Location: Costa Rica 63954
|
_Br_NHMB_ID_by_Breuning.jpg)
Sex: f Institution: NHMB Naturhistorisches Museum, Basel, Switzerland Determiner: Breuning Collection Location: Costa Rica 63955
|

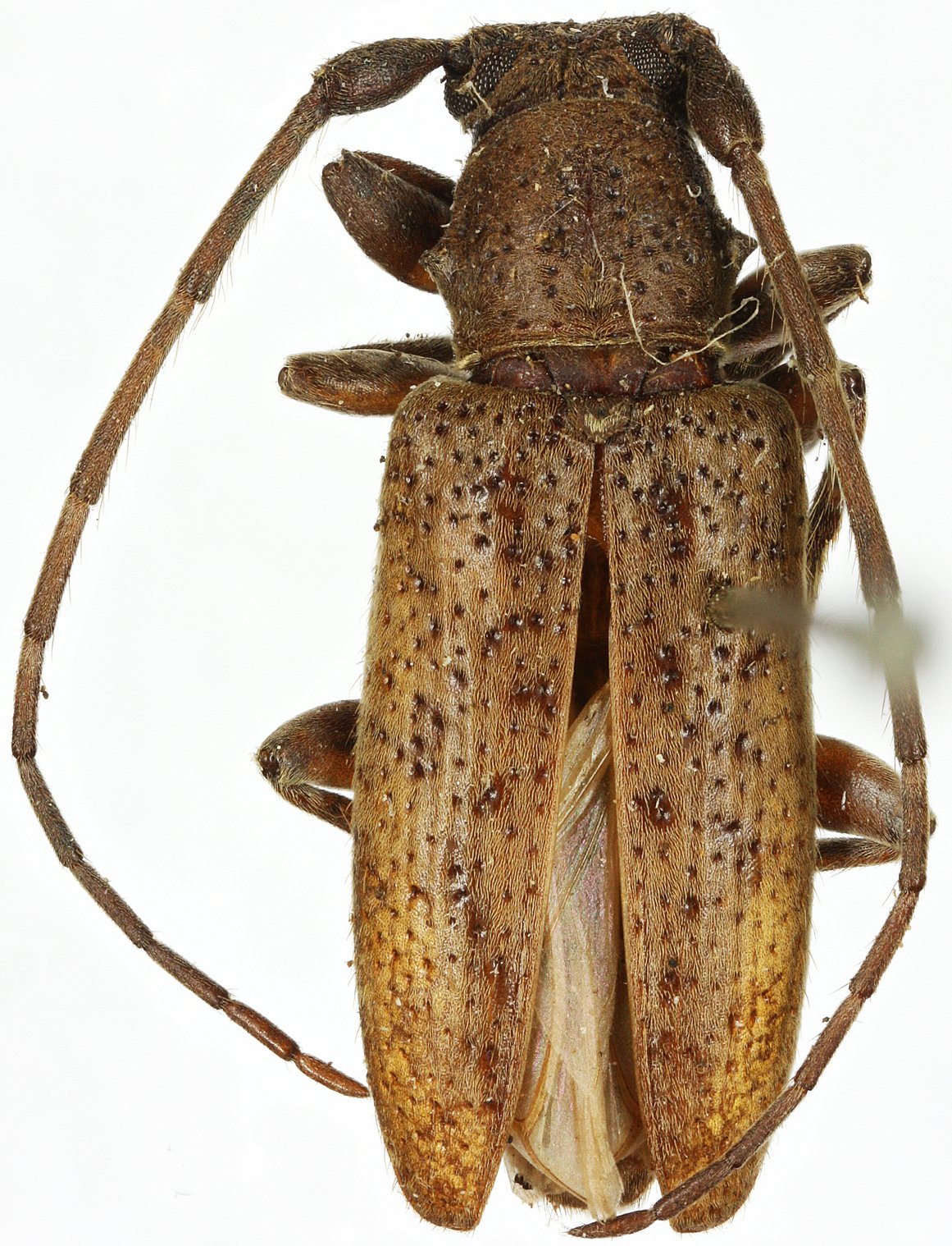
Institution: NMNH United States National Museum, Washington, DC, USA Photographer: Steve Lingafelter Collection Location: Surrubres, Costa Rca 63956
|

Institution: NMNH United States National Museum, Washington, DC, USA Photographer: Steve Lingafelter Collection Location: Surrubres, Costa Rca 63957
|
|