New Search Family, Subfamily and Tribe List

SubFamily Lamiinae

Tribe Desmiphorini
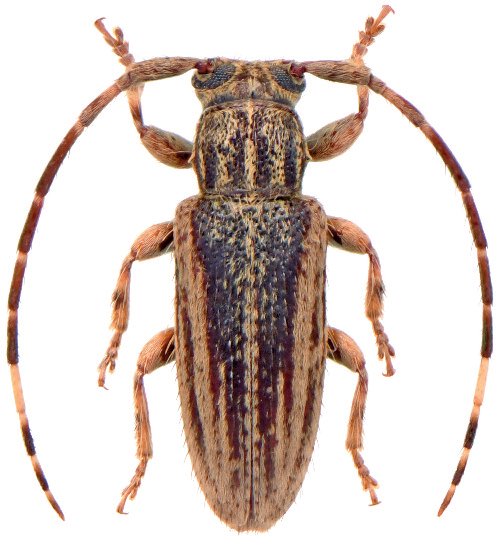
Estola vittulata Bates 1874

Specimen Type: syntype
Institution: MNHN Museum of Natural History Paris, France
Photographer: JS Moure
Collection Location: Chontales, Nicaragua
95687


Institution: BCA Biologia Centrali Americana
7538


Institution: MZSP Museu de Zoologia da Universidade de São Paulo, Brazil
Photographer: Antonio Santos-Silva
Collection Location: 16 km W Chiriqui Grande, Bocas del Toro, Panama
75447


Institution: MZSP Museu de Zoologia da Universidade de São Paulo, Brazil
Photographer: Antonio Santos-Silva
Collection Location: 16 km W Chiriqui Grande, Bocas del Toro, Panama
75448


Specimen Type: probably another sp
Institution: LGBC Larry G. Bezark Collection, Sacramento, California, USA
Photographer: Larry G. Bezark
Collection Location: 3 km N Arajuno, Napo Province, Ecuador
68171


Sex: f
Institution: Roguet Collection
Photographer: Jean-Philippe Roguet
Collection Location: Montagne de Kaw, French Guiana
96771

130425