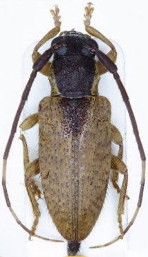
 Breuning MNHN Cayenne, French Guiana Moure.jpg)
Specimen Type: holotype Sex: f Institution: MNHN Museum of Natural History Paris, France Photographer: JS Moure Collection Location: Cayenne, French Guiana 90677
|

Photographer: Denis Faure Collection Location: French Guiana 21897
|
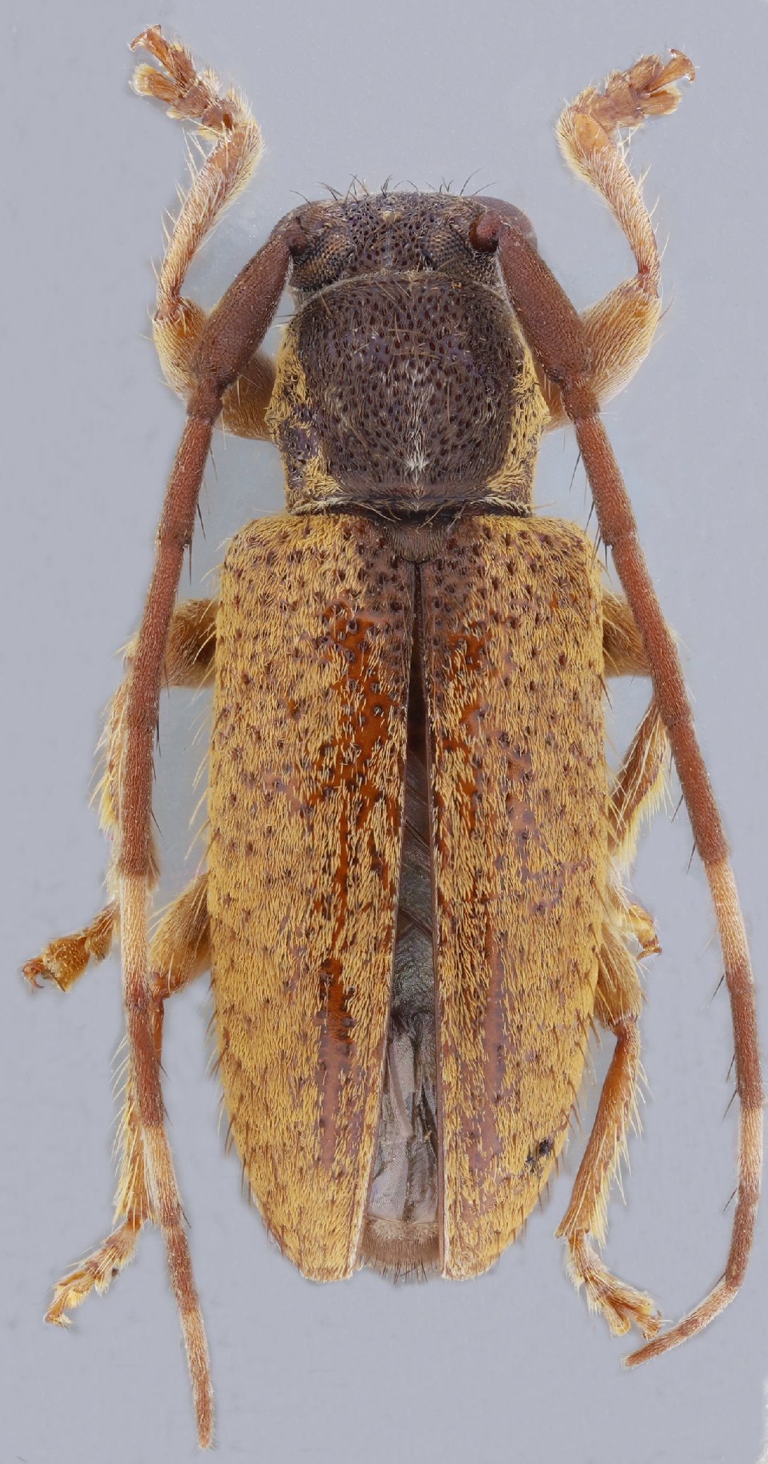
 Breuning MZSP Manaus, Amazonas, Brazil SS.jpg)
Sex: m Institution: MZSP Museu de Zoologia da Universidade de São Paulo, Brazil Photographer: Antonio Santos-Silva Collection Location: Manaus, Amazonas, Brazil 90678
|
 Breuning MZSP Manaus, Amazonas, Brazil SS.jpg)
Sex: m Institution: MZSP Museu de Zoologia da Universidade de São Paulo, Brazil Photographer: Antonio Santos-Silva Collection Location: Manaus, Amazonas, Brazil 90679
|

Institution: LGBC Larry G. Bezark Collection, Sacramento, California, USA Photographer: Larry G. Bezark Collection Location: Belizon, French Guiana 78384
|

Institution: LGBC Larry G. Bezark Collection, Sacramento, California, USA Photographer: Larry G. Bezark Collection Location: Belizon, French Guiana 78385
|

Photographer: Denis Faure Collection Location: French Guiana 28750
|

Photographer: Jean-Louis Giuglaris Collection Location: Kaw, French Guiana 68054
|
|