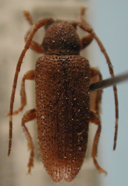
_Br_BMNH_Brazil_LGB.jpg)
Specimen Type: holotype Sex: f Institution: BMNH British Museum Natural History, London, UK Photographer: Larry G. Bezark Collection Location: Brazil 46773
|

Institution: MNRJ Museu Nacional Universidade do Rio Janeiro, Brazil Photographer: Larry G. Bezark Determiner: Monne Collection Location: Floresta de Tijuca, Rio de Janeiro, Brazil 33387
|