New Search Family, Subfamily and Tribe List

SubFamily Lamiinae

Tribe Desmiphorini
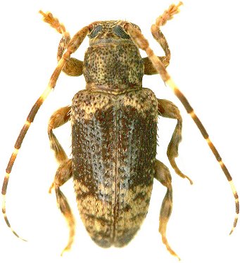
Estola medionigra Breuning 1940

Specimen Type: holotype
Sex: f
Institution: MCNZ Museu de Ciencas Naturais, Fundacao Zoobotanica do Rio Grande do Sul, Brazil
Collection Location: French Guiana
20889


Photographer: Odette Morvan
Collection Location: French Guiana
39983

130425