New Search Family, Subfamily and Tribe List

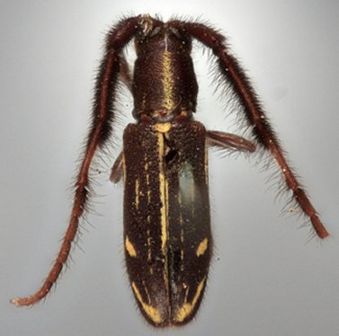
SubFamily Lamiinae

Tribe Desmiphorini
Heteresmia spissicornis (Fabricius, 1801)

Saperda spissicornis Fabricius
Specimen Type: holotype
Institution: ZMUC University of Copenhagen, Zoological Museum, København, Denmark
Photographer: Gino Nearns
Collection Location: America Meridionali
42531


7490


Institution: FTH Frank T. Hovore collection (now at California Academy of Sciences)
Photographer: Larry G. Bezark
7491

130425