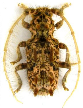
_MNRJ_SWL.jpg)
Specimen Type: holotype Institution: MNRJ Museu Nacional Universidade do Rio Janeiro, Brazil Photographer: Steve Lingafelter 6568
|
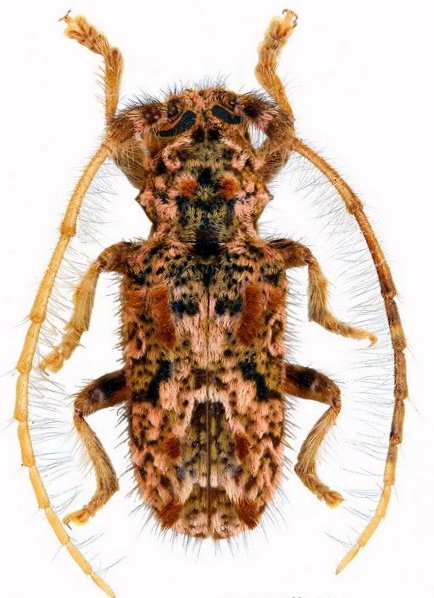
_MNRJ_SWL.jpg)
Specimen Type: holotype Institution: MNRJ Museu Nacional Universidade do Rio Janeiro, Brazil Photographer: Steve Lingafelter 6569
|
_Galileo_and_Martins_MNRJ_GN.jpg)
Specimen Type: holotype Institution: MNRJ Museu Nacional Universidade do Rio Janeiro, Brazil Photographer: Gino Nearns 23893
|

Photographer: Denis Faure Collection Location: French Guiana 21827
|
_Mart_Kaw_FG_JLG.jpg)
Photographer: Jean-Louis Giuglaris Collection Location: Kaw, French Guiana 68004
|

Photographer: Jean-Louis Giuglaris Collection Location: Kaw, French Guiana 28701
|