_Martins_and_Galileo_Inst_Zool_Agric_Maracay.jpg)
Specimen Type: holotype Sex: m Institution: IZAFM Instituto de Zoología Agrícola, Faculdad de Agronomía de Maracay, Venezuela 6327
|
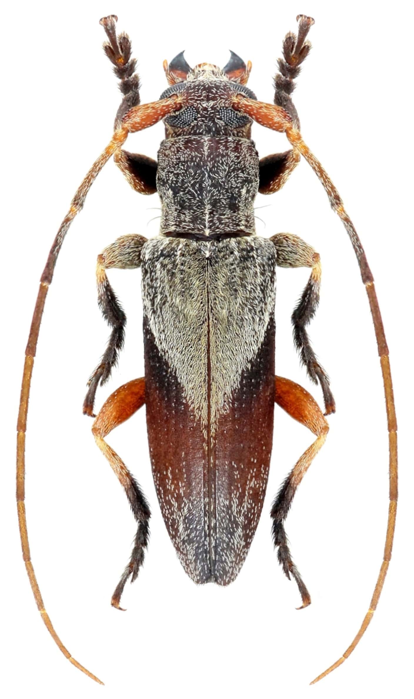
_Mart_and_Galileo_IZFAM_El_Limon_Aragua_Venez.jpg)
Specimen Type: holotype Sex: m Institution: IZAFM Instituto de Zoología Agrícola, Faculdad de Agronomía de Maracay, Venezuela Photographer: Larry G. Bezark Collection Location: El Limon, Aragua, Venezuela 33255
|