_M_G_MZSP_Linhares_ES_Braz_now_Blabicentrus_SS.jpg)
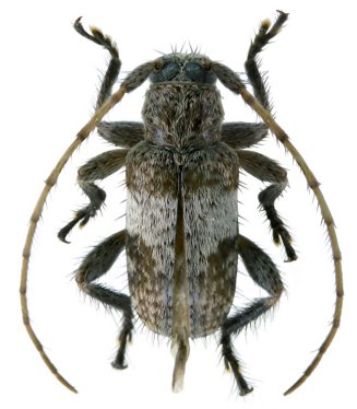
Ceiupaba capixaba Martins & Galileo Specimen Type: holotype Sex: m Institution: MZSP Museu de Zoologia da Universidade de São Paulo, Brazil Photographer: Antonio Santos-Silva Collection Location: Linhares, Espirito Santo, Brazil 5432
|
_M_G_MZSP_Linhares_ES_Braz_now_Blabicentrus_SS.jpg)
Ceiupaba capixaba Martins & Galileo Specimen Type: holotype Sex: m Institution: MZSP Museu de Zoologia da Universidade de São Paulo, Brazil Photographer: Antonio Santos-Silva Collection Location: Linhares, Espirito Santo, Brazil 5433
|
_M_G_MZSP_Linhares_ES_Braz_now_Blabicentrus_SS.jpg)
Ceiupaba capixaba Martins Specimen Type: holotype Sex: m Institution: MZSP Museu de Zoologia da Universidade de São Paulo, Brazil Photographer: Antonio Santos-Silva Collection Location: Linhares, Espirito Santo, Brazil 69470
|
_M_G_MZSP_Linhares_ES_Braz_now_Blabicentrus_SS.jpg)
Ceiupaba capixaba Martins Specimen Type: holotype Sex: m Institution: MZSP Museu de Zoologia da Universidade de São Paulo, Brazil Photographer: Antonio Santos-Silva Collection Location: Linhares, Espirito Santo, Brazil 69471
|

Photographer: Jim Wappes Collection Location: Bolivia 5434
|
_(Mart_and_Galileo)_Dalens.jpg)
Sex: m 27561
|
_(Mart_and_Galileo)_1175M_Dalens.jpg)
Sex: m 27562
|
|