New Search Family, Subfamily and Tribe List

SubFamily Lamiinae

Tribe Pteropliini
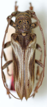
Rhaphiptera seabrai Fragoso & Monné 1984

Specimen Type: holotype
Institution: MNRJ Museu Nacional Universidade do Rio Janeiro, Brazil
Photographer: Steve Lingafelter
12982

130425