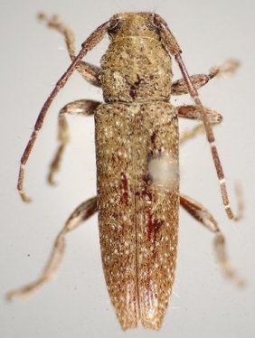
_(m)_Fisher_AMNH_JAC.jpg)
Specimen Type: holotype Sex: m Institution: AMNH American Museum of Natural History, New York, NY, USA Photographer: John Chemsak Collection Location: Finca San Carlos, Guantanamo, Oriente, Cuba 15344
|
_Fisher_AMNH_Finca_San_Carlos_Guantanamo_Oriente_Cuba.jpg)
Specimen Type: holotype Sex: m Institution: AMNH American Museum of Natural History, New York, NY, USA Collection Location: Finca San Carlos, Guantanamo, Oriente, Cuba 27689
|

Institution: CAS California Academy of Sciences, San Francisco, CA, USA Photographer: Larry G. Bezark Determiner: Bob Turnbow 4827
|
|