_Thomson_MNHN_Brazil_GN.jpg)
Oncideres heterocera vicina Thomson Specimen Type: holotype Sex: f Institution: MNHN Museum of Natural History Paris, France Photographer: Gino Nearns Collection Location: Brazil 55864
|
_Thomson_MNHN_FTH.jpg)
Specimen Type: holotype Sex: f Institution: MNHN Museum of Natural History Paris, France Collection Location: Brazil 17833
|
_D_and_D_AMNH_Aracaju_Sergipe_Brazil_=_vicina.jpg)
Oncideres crocala Dillon & Dillon Specimen Type: holotype Sex: f Institution: AMNH American Museum of Natural History, New York, NY, USA Collection Location: Aracaju, Sergipe, Brazil 27884
|
_Dillon_and_Dillon_AMNH_JAC_=_Oncideres_vicina_Thomson.jpg)
Oncideres crocala Dillon & Dillon Specimen Type: holotype Institution: AMNH American Museum of Natural History, New York, NY, USA Photographer: John Chemsak 17781
|
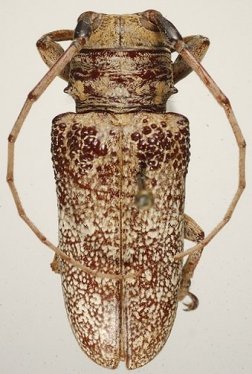
 Thomson ZUFMS Brazil (Mato Grosso do Sul, Aquidauana) SS.jpg)
Sex: m Institution: ZUFMS Coleção Zoológica da Universidade Federal de Mato Grosso do Sul, Brazil Photographer: Antonio Santos-Silva Collection Location: Aquidauana, Mato Grosso do Sul, Brazil 96003
|
|