_Bates_MNHN_Ega_AM_Brazil_now_Marensis_GN.jpg)
Hypselomus simplex Bates Specimen Type: lectotype Sex: m Institution: MNHN Museum of Natural History Paris, France Photographer: Gino Nearns Collection Location: Tefé (originally Ega), Amazonas, Brazil 30352
|
_Bates_MNHN_FTH_=_Marensis.jpg)
Hypselomus simplex Bates Specimen Type: syntype, lectotype Sex: m Institution: MNHN Museum of Natural History Paris, France Collection Location: Tefé (originally Ega), Amazonas, Brazil 16885
|
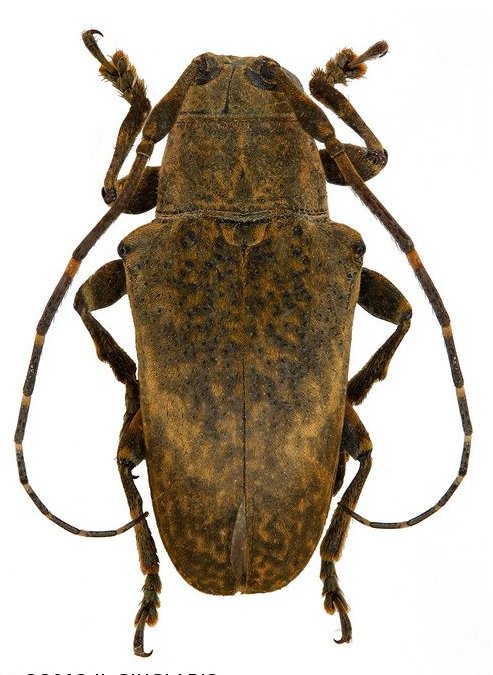
 D D ANSP Sao Paolo de Olivenca, Amazonas, Brazil now simp Moure.jpg)
Marensis tybalmoides Dillon & Dillon Specimen Type: holotype Sex: m Institution: ANSP Academy of Natural Sciences, Philadelphia, PA, USA Photographer: JS Moure Collection Location: Sao Paolo de Olivenca, Amazonas, Brazil 100347
|
_(Bates)_GN.jpg)
Sex: m Photographer: Gino Nearns 30415
|
_RLP_Ecuador.jpg)
Institution: CSCA California State Collection of Arthropods, Sacramento, California Photographer: Larry G. Bezark Collection Location: Ecuador 9645
|
_Fr_Guiana_Faure.jpg)
Photographer: Denis Faure Collection Location: French Guiana 28873
|
_Kaw_FG_JLG.jpg)
Photographer: Jean-Louis Giuglaris Collection Location: Kaw, French Guiana 28874
|
|