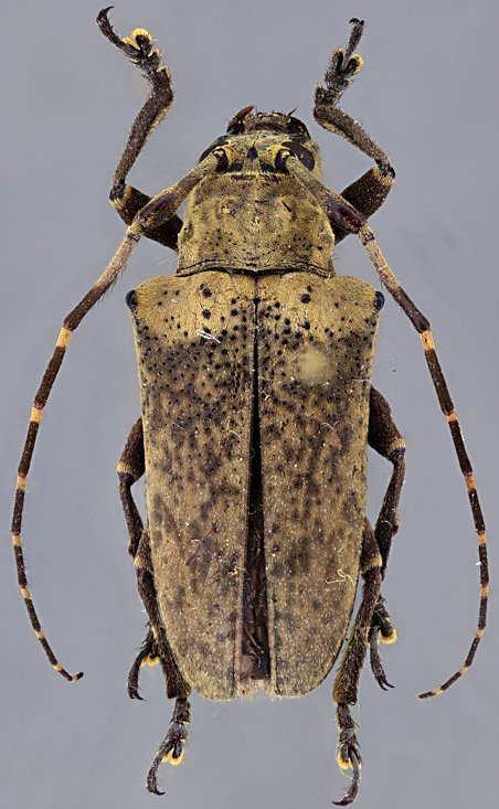
_Martins_MZSP_Porto_dos_Gauchos_Mato_Grosso_Brazil_Nasc23.jpg)
Specimen Type: holotype Sex: f Institution: MZSP Museu de Zoologia da Universidade de São Paulo, Brazil Photographer: Gino Nearns Collection Location: Gleba Arinos, Mato Grosso, Brazil 23921
|
_Martins_MZSP_Porto_dos_Gauchos_Mato_Grosso_Brazil_Nasc.jpg)
Specimen Type: holotype Sex: f Institution: MZSP Museu de Zoologia da Universidade de São Paulo, Brazil Photographer: Gino Nearns Collection Location: Gleba Arinos, Mato Grosso, Brazil 8631
|