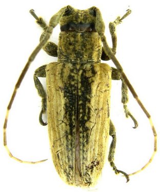
_Thom_MNHN_Brazil_GN.jpg)
Specimen Type: lectotype Sex: m Institution: MNHN Museum of Natural History Paris, France Photographer: Gino Nearns Collection Location: Brazil 7956
|
_Thomson_MNHN_FTH.jpg)
Specimen Type: lectotype Sex: m Institution: MNHN Museum of Natural History Paris, France Collection Location: Brazil 16672
|