_Thomson_MHNH_Cayenne_Fr_Guiana_=_Eudesmus_Tav.jpg)
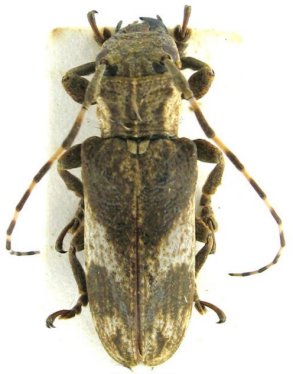
Larvica ferrugina Thomson Specimen Type: holotype Sex: f Institution: MNHN Museum of Natural History Paris, France Photographer: Gerard Tavakilian Collection Location: Cayenne, French Guiana 30403
|
_Thoms_MNHN_Cayenne_Fr_G_now_Eudesmus_GN.jpg)
Larvica ferrugina Thomson Specimen Type: lectotype Sex: f Institution: MNHN Museum of Natural History Paris, France Photographer: Gino Nearns Collection Location: Cayenne, French Guiana 17020
|