_Dillon_and_Dillon_AMNH_Corupa_SC_Brazil_Tav.jpg)
Clavidesmus rubigineus Dillon & Dillon Specimen Type: holotype Sex: f Institution: AMNH American Museum of Natural History, New York, NY, USA Photographer: Gerard Tavakilian Collection Location: Corupa, Santa Catarina, Brazil 30299
|
_D_and_D_AMNH_Corupa_Santa_Cat_Brazil.jpg)
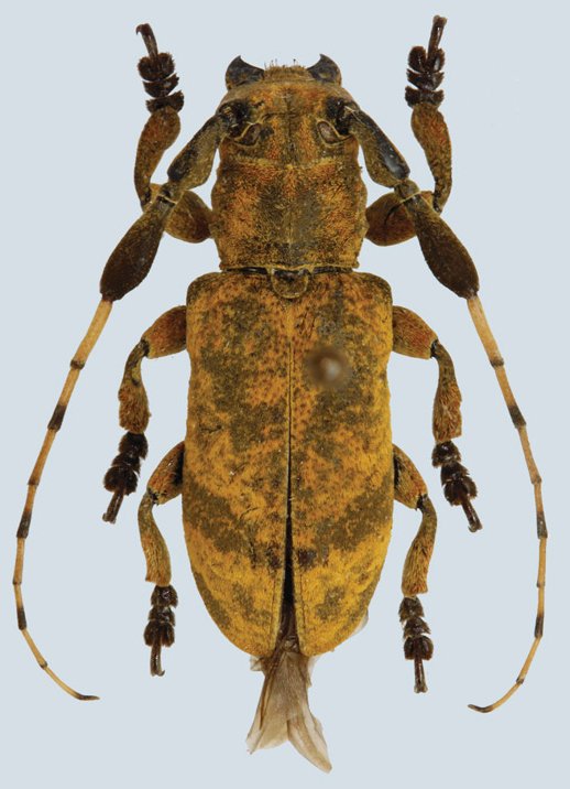
Clavidesmus rubigineus Dillon & Dillon Specimen Type: holotype Sex: f Institution: AMNH American Museum of Natural History, New York, NY, USA Collection Location: Corupa, Santa Catarina, Brazil 27723
|
_(f)_Dillon_and_Dillon_AMNH_JAC.jpg)
Clavidesmus rubigineus Dillon & Dillon Specimen Type: holotype Sex: f Institution: AMNH American Museum of Natural History, New York, NY, USA Photographer: John Chemsak Collection Location: Corupa, Santa Catarina, Brazil 15603
|

Photographer: Ole Mehl Collection Location: Department Alto Parana, Paraguay 36681
|

Institution: MZUEL Museum of Zoology, State University of Londrina, Brazil Photographer: Barros Collection Location: Ceu Azul, Iguacu Nacional Parque, Parana, Brazil 69242
|
|