_D_D_FMNH_Bahia_Braz_GN.jpg)
Specimen Type: holotype Sex: f Institution: FMNH Field Museum of Natural History, Chicago, IL, USA Photographer: Gino Nearns Collection Location: Bahia, Brazil 55812
|
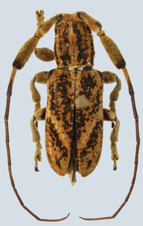
_(f)_Dillon_and_Dillon_FMNH_JAC.jpg)
Specimen Type: holotype Sex: f Institution: FMNH Field Museum of Natural History, Chicago, IL, USA Photographer: John Chemsak Collection Location: Bahia, Brazil 15602
|

Institution: MZUEL Museum of Zoology, State University of Londrina, Brazil Photographer: Barros Collection Location: Ceu Azul, Iguacu Nacional Parque, Parana, Brazil 69241
|
|