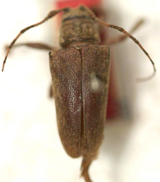
_Martins_Gal_ZHMB_Nova_Friburgo_RJ_Brazil_GN.jpg)
Specimen Type: holotype Sex: f Institution: ZMHB Museum für Naturkunde der Humboldt-Universität, Berlin, Germany Photographer: Gino Nearns Collection Location: Nova Friburgo, Rio de Janeiro, Brazil 30272
|
_Martins_Gal_ZHMB_Nova_Friburgo_RJ_Brazil_GN.jpg)
Specimen Type: holotype Sex: f Institution: ZMHB Museum für Naturkunde der Humboldt-Universität, Berlin, Germany Photographer: Gino Nearns Collection Location: Nova Friburgo, Rio de Janeiro, Brazil 69874
|