_Br_BMNH_Brazil_nowPseudoperma_LGB.jpg)
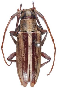
Stethoperma patruelis Breuning Specimen Type: holotype Institution: BMNH British Museum Natural History, London, UK Photographer: Larry G. Bezark Collection Location: Brazil 47346
|

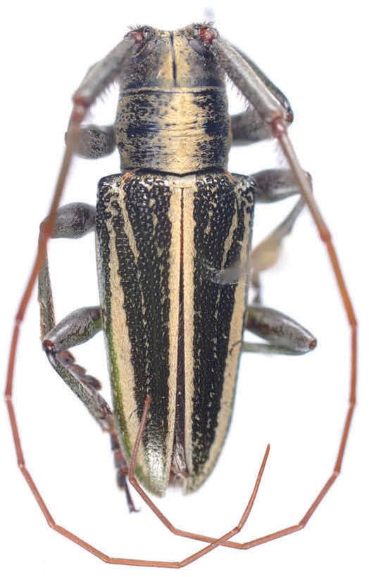
Photographer: Marcela Monne Collection Location: Itatiaia National Park, Rio de Janeiro, Brazil 35394
|

Sex: m Institution: MNRJ Museu Nacional Universidade do Rio Janeiro, Brazil Photographer: Monne Collection Location: Itatiaia National Park, Rio de Janeiro, Brazil 65211
|

Specimen Type: maybe this taxon Institution: USNM United States National Museum, Washington, DC, USA Photographer: Steve Lingafelter Determiner: Wappes Collection Location: Brazil, Atlantic forest 28533
|
|