New Search Family, Subfamily and Tribe List

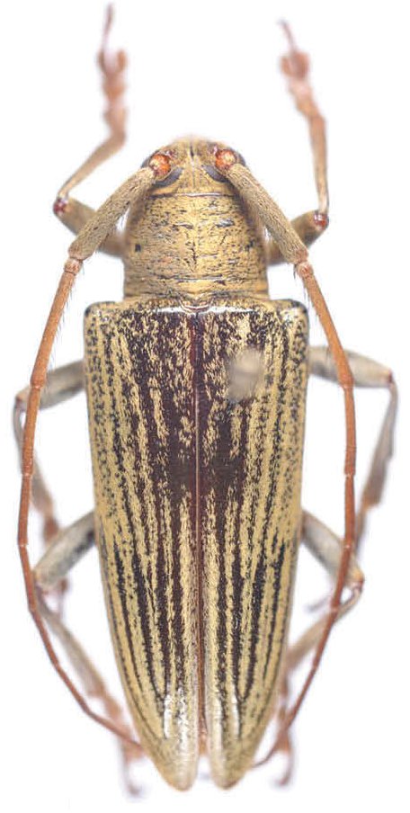
SubFamily Lamiinae

Tribe Onciderini
Pseudoperma chalcogramma (Bates, 1887)

Institution: USNM United States National Museum, Washington, DC, USA
Photographer: Steve Lingafelter
Determiner: Wappes
Collection Location: Brazil, Atlantic forest
28532


Sex: m
Institution: MNRJ Museu Nacional Universidade do Rio Janeiro, Brazil
Photographer: Monne
Collection Location: Altamiro, Represa Rio Grande, Rio de Janeiro, Brazil
65210

130425