_MZSP_Itu_SP_Braz_SS.jpg)
Specimen Type: holotype Sex: f Institution: MZSP Museu de Zoologia da Universidade de São Paulo, Brazil Photographer: Antonio Santos-Silva Collection Location: Itu, Sao Paolo, Brazil 53298
|
_Martins_and_Carvalho_MZSP_SWL.jpg)
Specimen Type: holotype Sex: f Institution: MZSP Museu de Zoologia da Universidade de São Paulo, Brazil Photographer: Steve Lingafelter Collection Location: Itu, Sao Paolo, Brazil 14360
|
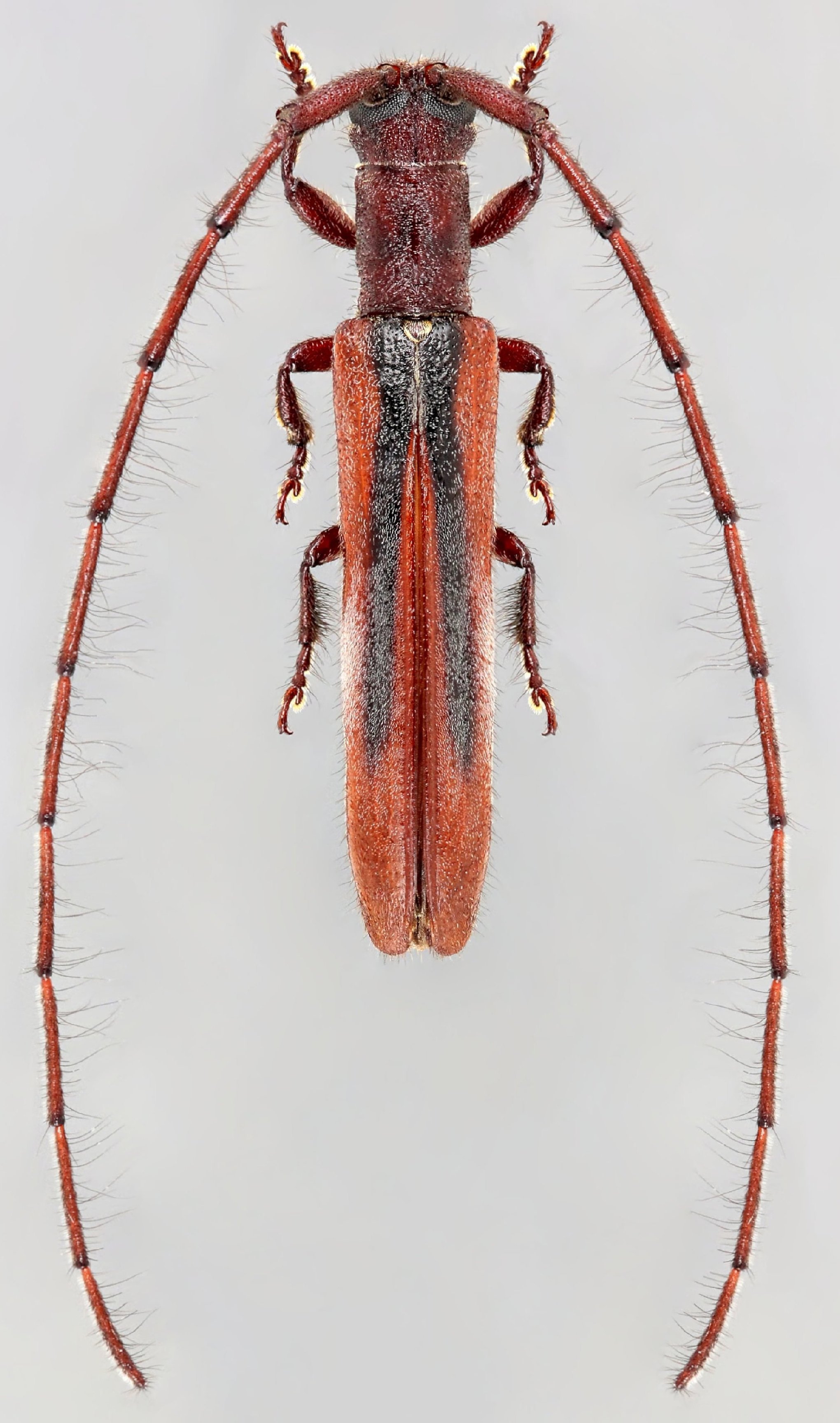
_Br_MNRJ_Pirapora_MG_Brazil.jpg)
Specimen Type: paratype Institution: MNRJ Museu Nacional Universidade do Rio Janeiro, Brazil Photographer: Larry G. Bezark Collection Location: Pirapora, Minas Gerais, Brazil 33926
|

Photographer: Jean-Louis Giuglaris Collection Location: Belizon, French Guiana 29411
|

Institution: LGBC Larry G. Bezark Collection, Sacramento, California, USA Photographer: Larry G. Bezark Collection Location: Sao Roque de Minas, Minas Gerais, Brazil 96133
|

Institution: LGBC Larry G. Bezark Collection, Sacramento, California, USA Photographer: Larry G. Bezark Collection Location: Sao Roque de Minas, Minas Gerais, Brazil 96134
|
 Mart Carvalho Serpent Creek, Rte Apatou, Saint Laurent du Maroni, French Guiana Robin.jpg)
Sex: m Photographer: Frédéric Robin Collection Location: Serpent Creek, Rte Apatou, Saint Laurent du Maroni, French Guiana 80578
|

Specimen Type: probably new species Photographer: Denis Faure Collection Location: French Guiana 26765
|
|