_Melzer_MZSP_Porto_Alegre_RS_Braz_now_RosalbaSS.jpg)
Aletretia digna Melzer Specimen Type: holotype Sex: f Institution: MZSP Museu de Zoologia da Universidade de São Paulo, Brazil Photographer: Antonio Santos-Silva Collection Location: Porto Alegre, Rio Grande do Sul, Brazil 64313
|
_Br_MNHN_Valle_du_Tio_Pardo_SP_Braz_now_Rosalba_digna_JSMoure.jpg)
Aletretia albofasciata Breuning Specimen Type: holotype Institution: MNHN Museum of Natural History Paris, France Photographer: J S Moure Collection Location: Valle du Tio, Pardo, Sao Paolo, Brazil 64314
|
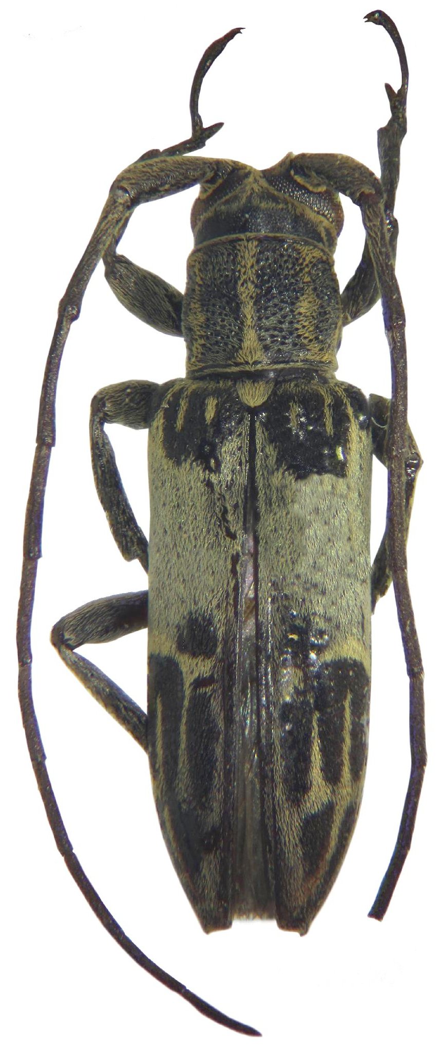
_Melzer_MZSP_Porto_Alegre_RS_Braz.jpg)
Aletretia digna Melzer Specimen Type: holotype Institution: MZSP Museu de Zoologia da Universidade de São Paulo, Brazil Collection Location: Porto Alegre, Rio Grande do Sul 44798
|
_Melzer_MZSP_SWL_=_Rosalba.jpg)
Aletretia digna Melzer Specimen Type: paratype Institution: MZSP Museu de Zoologia da Universidade de São Paulo, Brazil Photographer: Steve Lingafelter Collection Location: Porto Alegre, Rio Grande do Sul, Brazil 4120
|
 Antequera, Chaco, Argentina Nestor Valle pic.jpg)
Institution: Universidad Nacional del
Nordeste, Argentina Photographer: Nestor Valle Collection Location: Antequera, Chaco, Argentina 81181
|
|