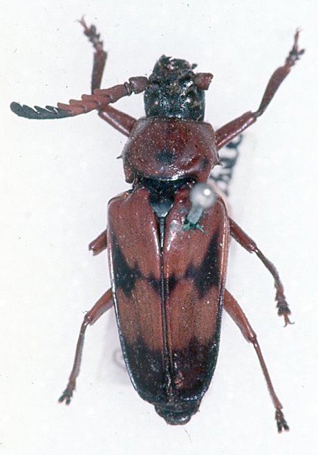
_Germar_ZMHB_Brazil_now_Poikilosoma_ornat.jpg)
Cerambyx gagatinus Germar Specimen Type: lectotype Sex: m Institution: ZMHB Museum für Naturkunde der Humboldt-Universität, Berlin, Germany Photographer: Monne Collection Location: Brazil 48223
|
_Germar_ZMHB_Brazil_now_Poikilosoma_ornat.jpg)
Cerambyx gagatinus Germar Specimen Type: lectotype Sex: m Institution: ZMHB Museum für Naturkunde der Humboldt-Universität, Berlin, Germany Photographer: Monne Collection Location: Brazil 48224
|
_Germar_ZMHB_Brazil_now_Poikilosoma_ornat.jpg)
Cerambyx gagatinus Germar Specimen Type: lectotype Sex: m Institution: ZMHB Museum für Naturkunde der Humboldt-Universität, Berlin, Germany Photographer: Monne Collection Location: Brazil 48225
|
 Aud-Serv BMNH Brazil now Poekilo ornat Moure.jpg)
Ceroctenus abdominalis Audinet-Serville Specimen Type: syntype Sex: m Institution: BMNH British Museum Natural History, London, UK Photographer: JS Moure Collection Location: Brazil 100531
|
 Guerin MNHN Brazil now Poekilo ornat Moure.jpg)
Ceroctenus equestris Guerin Specimen Type: holotype Sex: m Institution: MNHN Museum of Natural History Paris, France Photographer: JS Moure Collection Location: Brazil 100532
|
 White BMNH Brazil now Poekilo ornat Moure.jpg)
Ceroctenus latifasciata White Specimen Type: holotype Institution: BMNH British Museum Natural History, London, UK Photographer: JS Moure Collection Location: Brazil 100533
|
 White BMNH Brazil now Poekilo ornat Moure.jpg)
Ceroctenus mixtus White Specimen Type: syntype Institution: BMNH British Museum Natural History, London, UK Photographer: JS Moure Collection Location: Brazil 100534
|
 Guerin MNHN Brazil now Poekilo ornat Moure.jpg)
Ceroctenus unicolor White Specimen Type: holotype Sex: m Institution: MNHN Museum of Natural History Paris, France Photographer: JS Moure Collection Location: Brazil 100535
|
_(Germ)_MNRJ_RJ_Braz_and ES_Braz.jpg)
Sex: f Institution: MNRJ Museu Nacional Universidade do Rio Janeiro, Brazil Photographer: Monne Collection Location: Rio de Janeiro & Espirito Santo, Brazil 48226
|
_(Dalman)_NP_Lord.jpg)
Sex: f Photographer: Nathan P. Lord 42440
|
_UCB.jpg)
Institution: UCB Essig Museum of Entomology, Berkeley, California, USA Photographer: Larry G. Bezark 12379
|
_UCB.jpg)
Institution: UCB Essig Museum of Entomology, Berkeley, California, USA Photographer: Larry G. Bezark 12380
|

Sex: m Institution: IRSNB Royal Belgian Institute of Natural Sciences, Brussels, Belgium Photographer: Noel Mal Collection Location: Espirito Santo, Brazil 39419
|
_Brazil_ISRNB_NM.jpg)
Sex: f Institution: IRSNB Royal Belgian Institute of Natural Sciences, Brussels, Belgium Photographer: Noel Mal Collection Location: Brazil 39420
|