New Search Family, Subfamily and Tribe List

SubFamily Lamiinae

Tribe Apomecynini
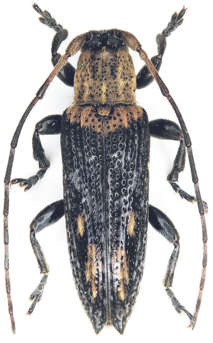
Sybra lamdongensis Skale & Weigel 2025

Specimen Type: holotype
Sex: m
Institution: Skale Collection
Photographer: Andre Skale
Collection Location: Bidoup NP, Lac Duong District, Lam Dong Province, Vietnam
101468

130425