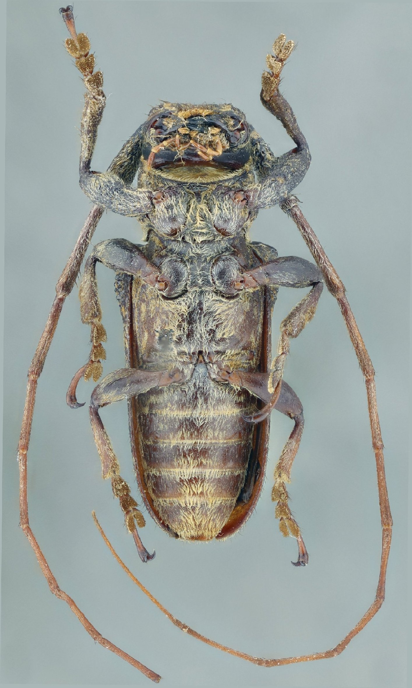
 Heff GN SS TAMU Sierra de Juarez, Oaxaca, Mexico SS.jpg)
Specimen Type: holotype Sex: m Institution: TAMU Texas A & M University, College Station, Texas, USA Photographer: Antonio Santos-Silva Collection Location: Sierra de Juarez, Oaxaca, Mexico 101391
|
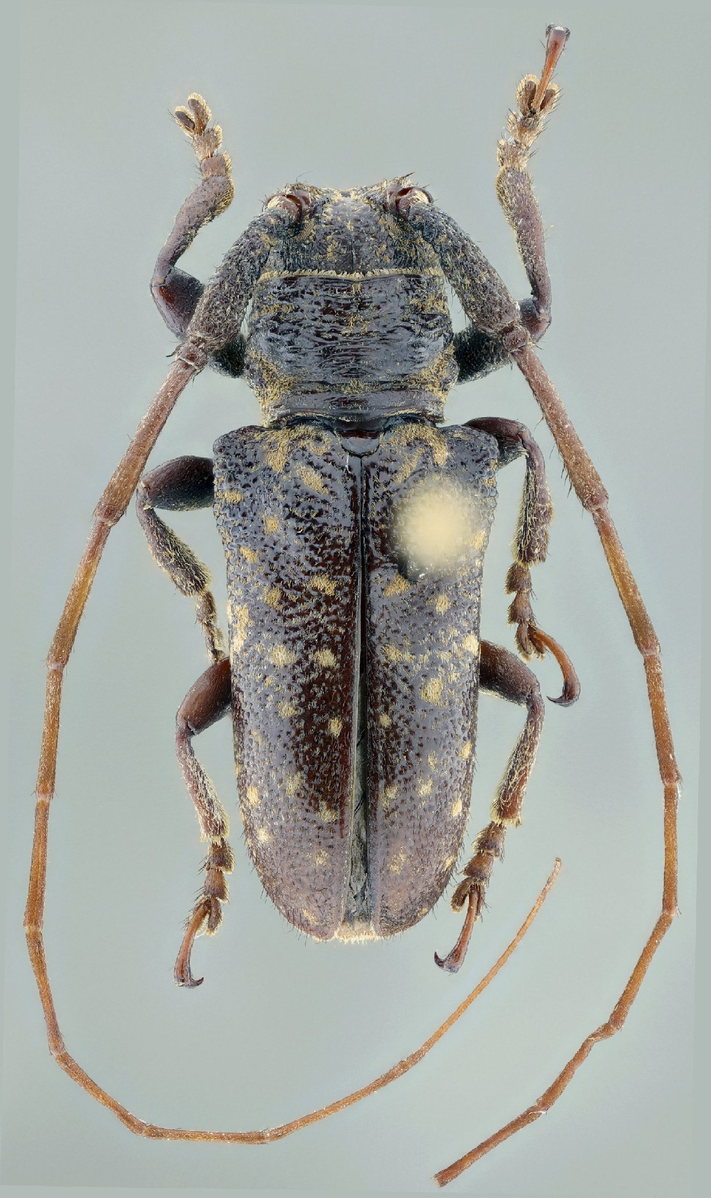
 Heff GN SS TAMU Sierra de Juarez, Oaxaca, Mexico SS.jpg)
Specimen Type: holotype Sex: m Institution: TAMU Texas A & M University, College Station, Texas, USA Photographer: Antonio Santos-Silva Collection Location: Sierra de Juarez, Oaxaca, Mexico 101392
|
 Heff GN SS TAMU Sierra de Juarez, Oaxaca, Mexico SS.jpg)
Specimen Type: holotype Sex: m Institution: TAMU Texas A & M University, College Station, Texas, USA Photographer: Antonio Santos-Silva Collection Location: Sierra de Juarez, Oaxaca, Mexico 101393
|
 Heff GN SS TAMU Sierra de Juarez, Oaxaca, Mexico SS.jpg)
Specimen Type: holotype Sex: m Institution: TAMU Texas A & M University, College Station, Texas, USA Photographer: Antonio Santos-Silva Collection Location: Sierra de Juarez, Oaxaca, Mexico 101394
|
|