New Search Family, Subfamily and Tribe List

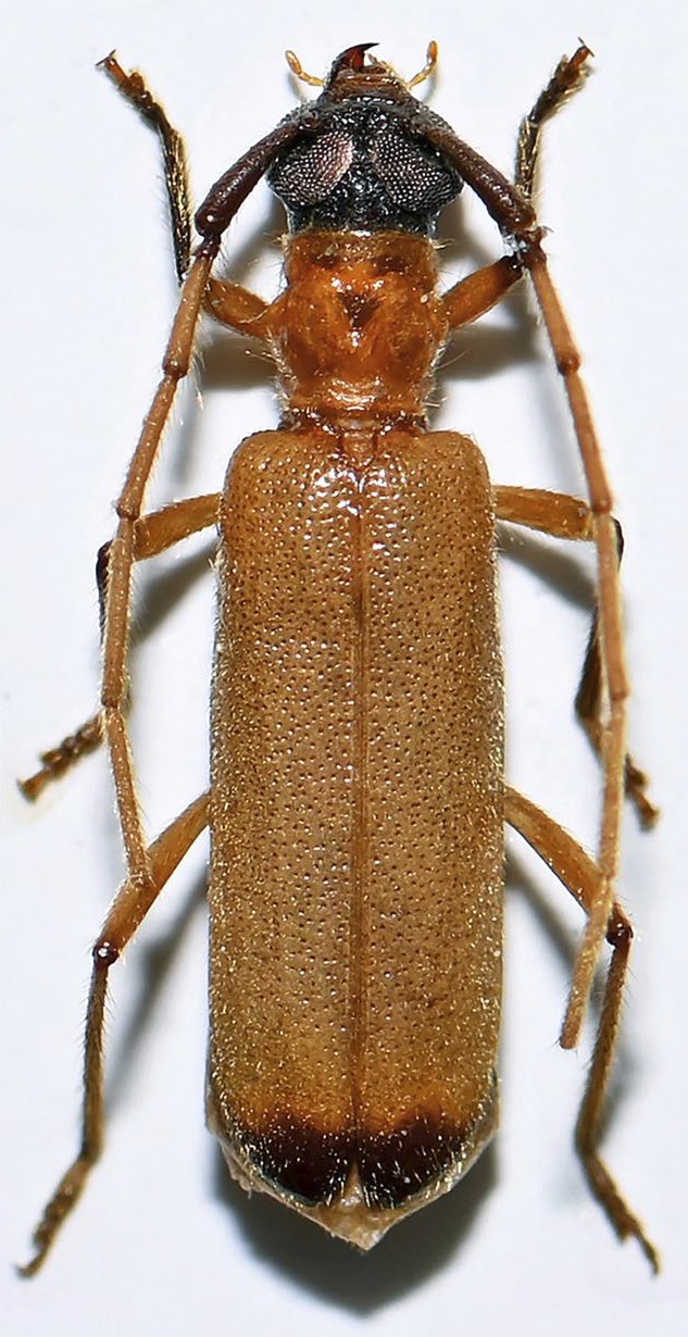
SubFamily Cerambycinae

Tribe Obriini
Kuegleria femorata Holzschuh 2025

Specimen Type: holotype
Sex: f
Institution: Holzschuh Collection
Photographer: Carolus Holzschuh
Collection Location: Bach Ma NP, Thua-Thien Province, Vietnam
101380

130425