 SS Bez P-F CSCA Hwy 105, 2 mi N Tlanchinol, Hidalgo, Mexico SS.jpg)
Specimen Type: holotype Sex: m Institution: CSCA California State Collection of Arthropods, Sacramento, California Photographer: Antonio Santos-Silva Collection Location: Hwy 105, 2 mi N Tlanchinol, Hidalgo, Mexico 101339
|
 SS Bez P-F CSCA Hwy 105, 2 mi N Tlanchinol, Hidalgo, Mexico SS.jpg)
Specimen Type: holotype Sex: m Institution: CSCA California State Collection of Arthropods, Sacramento, California Photographer: Antonio Santos-Silva Collection Location: Hwy 105, 2 mi N Tlanchinol, Hidalgo, Mexico 101340
|
 SS Bez P-F CSCA Hwy 105, 2 mi N Tlanchinol, Hidalgo, Mexico SS.jpg)
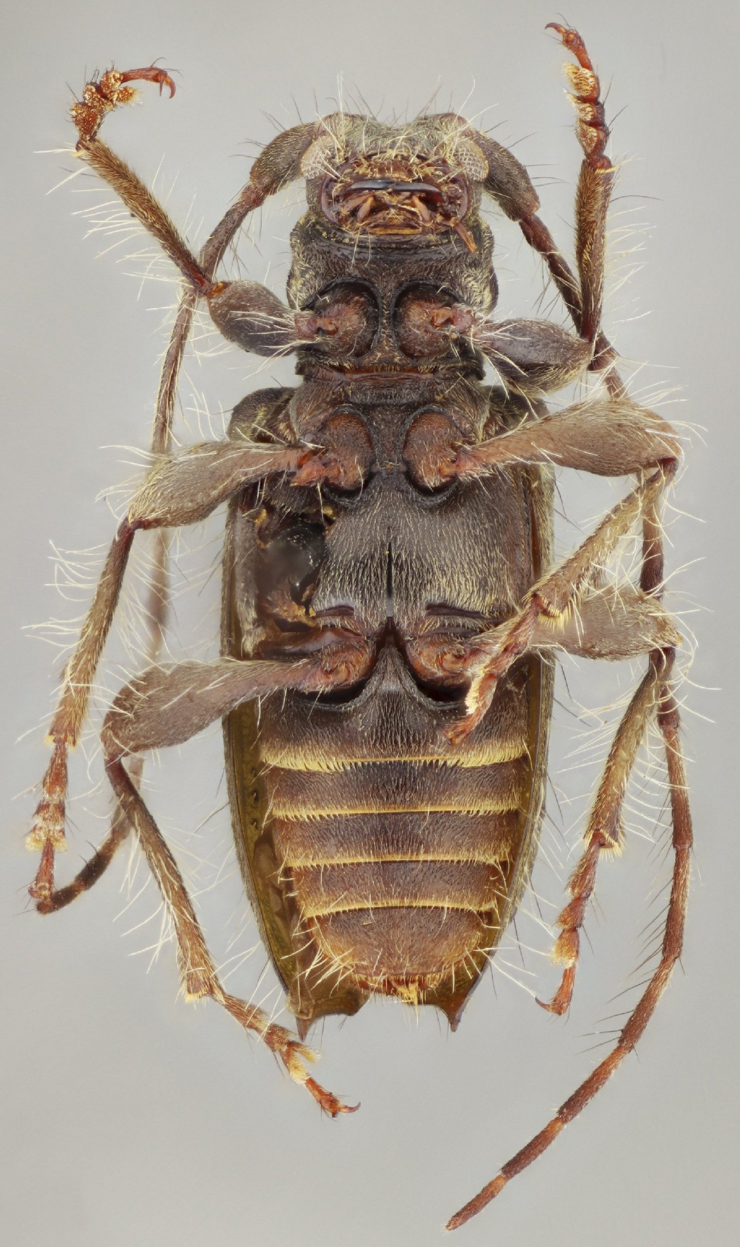
Specimen Type: holotype Sex: m Institution: CSCA California State Collection of Arthropods, Sacramento, California Photographer: Antonio Santos-Silva Collection Location: Hwy 105, 2 mi N Tlanchinol, Hidalgo, Mexico 101341
|
 SS Bez P-F CSCA Hwy 105, 2 mi N Tlanchinol, Hidalgo, Mexico SS.jpg)
Specimen Type: holotype Sex: m Institution: CSCA California State Collection of Arthropods, Sacramento, California Photographer: Antonio Santos-Silva Collection Location: Hwy 105, 2 mi N Tlanchinol, Hidalgo, Mexico 101342
|
|