 SS Bez P-F CSCA 10 mi S Cuernavaca, Morelos, Mexico SS.jpg)
Specimen Type: holotype Sex: f Institution: CSCA California State Collection of Arthropods, Sacramento, California Photographer: Antonio Santos-Silva Collection Location: 10 mi S Cuernavaca, Morelos, Mexico 101324
|
 SS Bez P-F CSCA 10 mi S Cuernavaca, Morelos, Mexico SS.jpg)
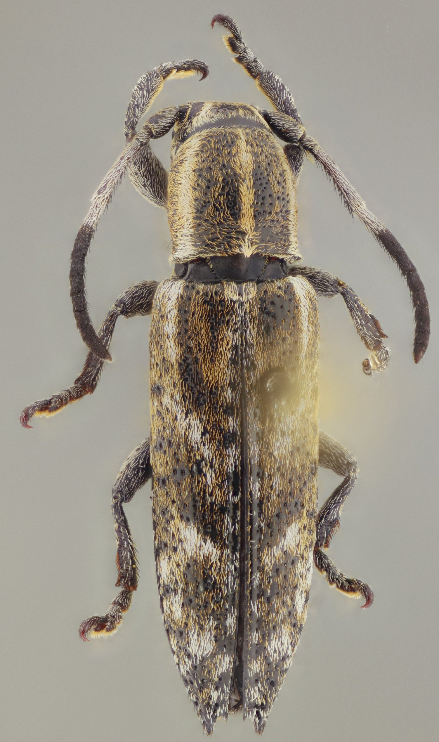
Specimen Type: holotype Sex: f Institution: CSCA California State Collection of Arthropods, Sacramento, California Photographer: Antonio Santos-Silva Collection Location: 10 mi S Cuernavaca, Morelos, Mexico 101325
|
 SS Bez P-F CSCA 10 mi S Cuernavaca, Morelos, Mexico SS.jpg)
Specimen Type: holotype Sex: f Institution: CSCA California State Collection of Arthropods, Sacramento, California Photographer: Antonio Santos-Silva Collection Location: 10 mi S Cuernavaca, Morelos, Mexico 101326
|
 SS Bez P-F CSCA 10 mi S Cuernavaca, Morelos, Mexico SS.jpg)
Specimen Type: holotype Sex: f Institution: CSCA California State Collection of Arthropods, Sacramento, California Photographer: Antonio Santos-Silva Collection Location: 10 mi S Cuernavaca, Morelos, Mexico 101327
|
|