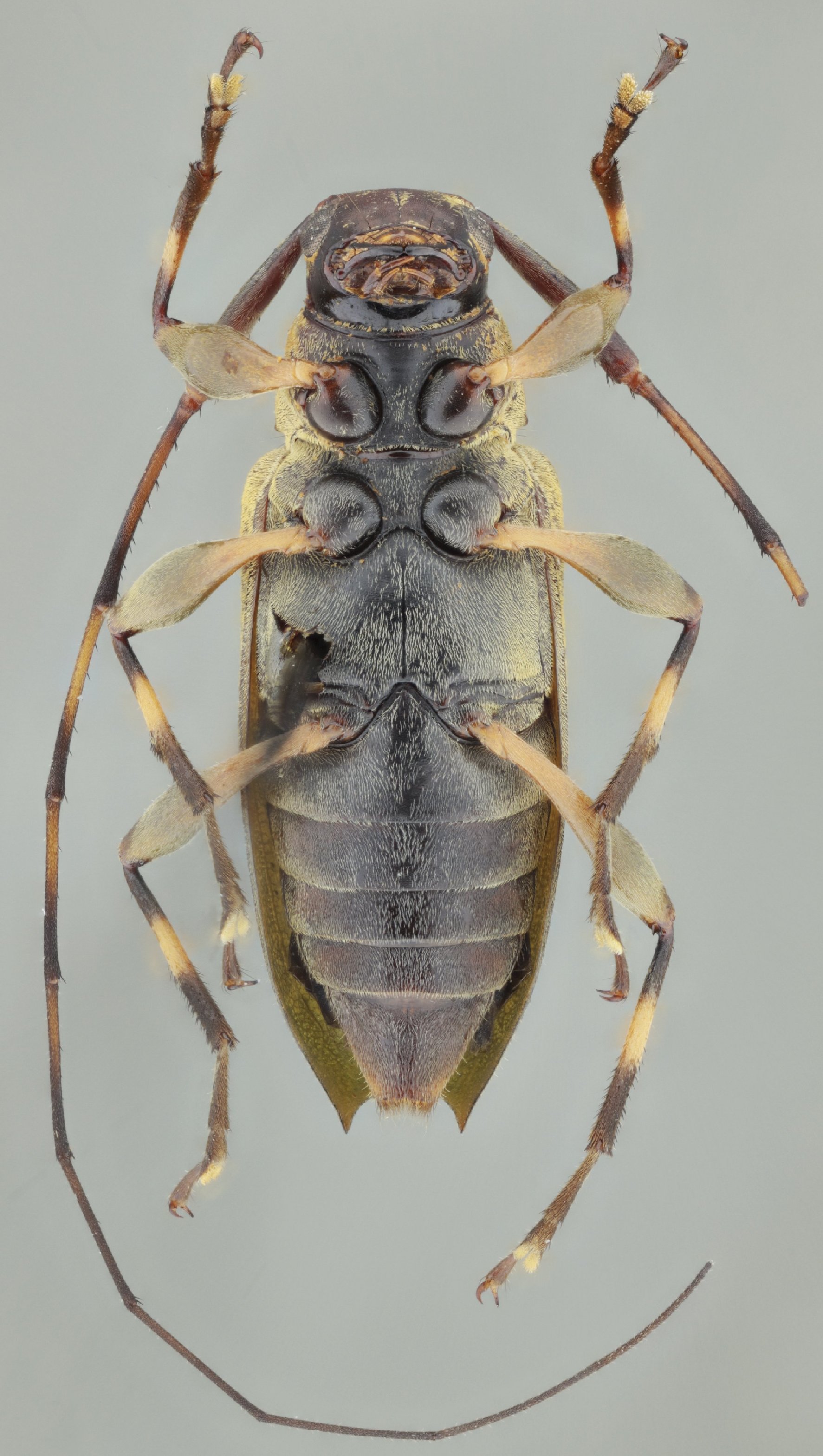
 SS Bez Nasc CSCA Cerro Azul Jefe, Panama, Panama SS.jpg)
Specimen Type: holotype Sex: f Institution: CSCA California State Collection of Arthropods, Sacramento, California Photographer: Antonio Santos-Silva Collection Location: Cerro Azul/Jefe, Panama, Panama 101302
|
 SS Bez Nasc CSCA Cerro Azul Jefe, Panama, Panama SS.jpg)
Specimen Type: holotype Sex: f Institution: CSCA California State Collection of Arthropods, Sacramento, California Photographer: Antonio Santos-Silva Collection Location: Cerro Azul/Jefe, Panama, Panama 101303
|
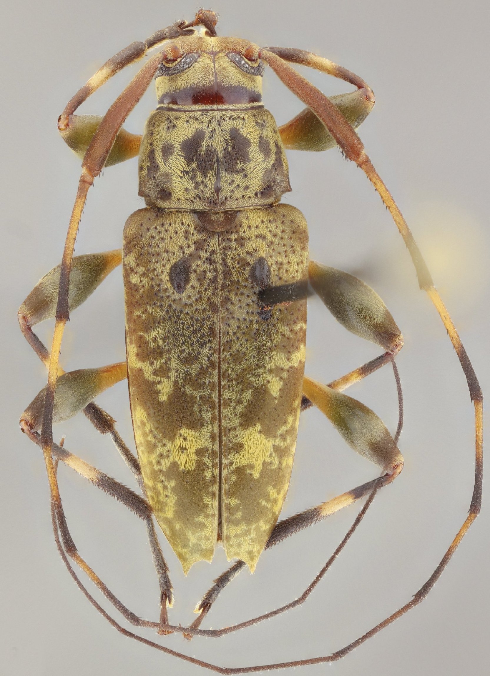
 SS Bez Nasc CSCA Cerro Azul Jefe, Panama, Panama SS.jpg)
Specimen Type: holotype Sex: f Institution: CSCA California State Collection of Arthropods, Sacramento, California Photographer: Antonio Santos-Silva Collection Location: Cerro Azul/Jefe, Panama, Panama 101304
|
 SS Bez Nasc CSCA Cerro Azul Jefe, Panama, Panama SS.jpg)
Specimen Type: holotype Sex: f Institution: CSCA California State Collection of Arthropods, Sacramento, California Photographer: Antonio Santos-Silva Collection Location: Cerro Azul/Jefe, Panama, Panama 101305
|
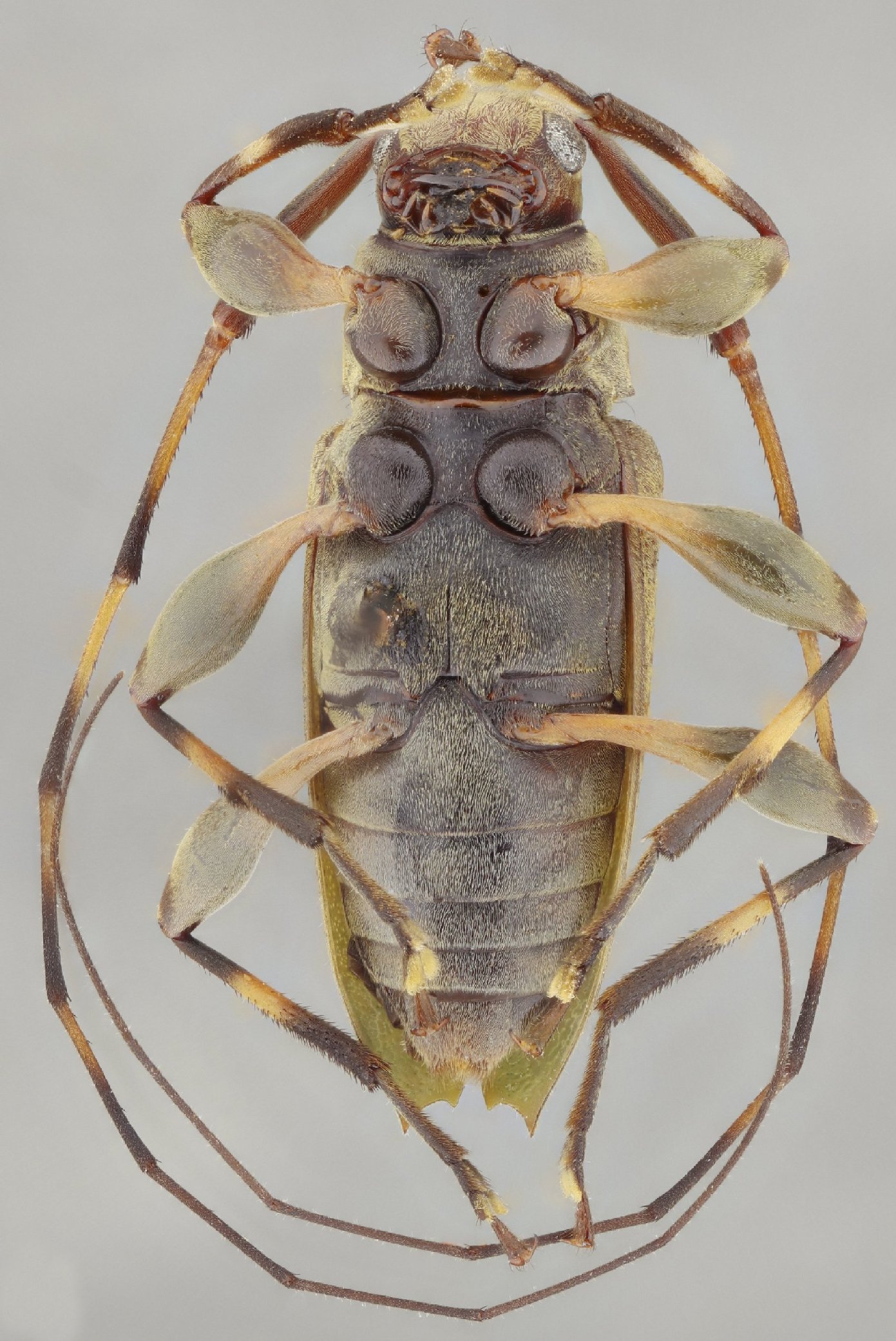
 SS Bez Nasc MZSP 14 km N El Llano, Panama, Panama SS.jpg)
Specimen Type: paratype Sex: m Institution: MZSP Museu de Zoologia da Universidade de São Paulo, Brazil Photographer: Antonio Santos-Silva Collection Location: 14 km N El Llano, Panama, Panama 101306
|
 SS Bez Nasc MZSP 14 km N El Llano, Panama, Panama SS.jpg)
Specimen Type: paratype Sex: m Institution: MZSP Museu de Zoologia da Universidade de São Paulo, Brazil Photographer: Antonio Santos-Silva Collection Location: 14 km N El Llano, Panama, Panama 101307
|
|