New Search Family, Subfamily and Tribe List

SubFamily Cerambycinae

Tribe Callidiopini
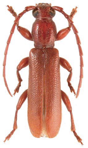
Sereicum curticorne Holzschuh 2025

Specimen Type: holotype
Sex: m
Institution: Holzschuh Collection
Photographer: Lubos Dembicky
Collection Location: Kebun Sei Kopas, Sumatra
100771


Specimen Type: paratype
Sex: f
Institution: Holzschuh Collection
Photographer: Lubos Dembicky
Collection Location: Kebun Sei Kopas, Sumatra
100772

130425