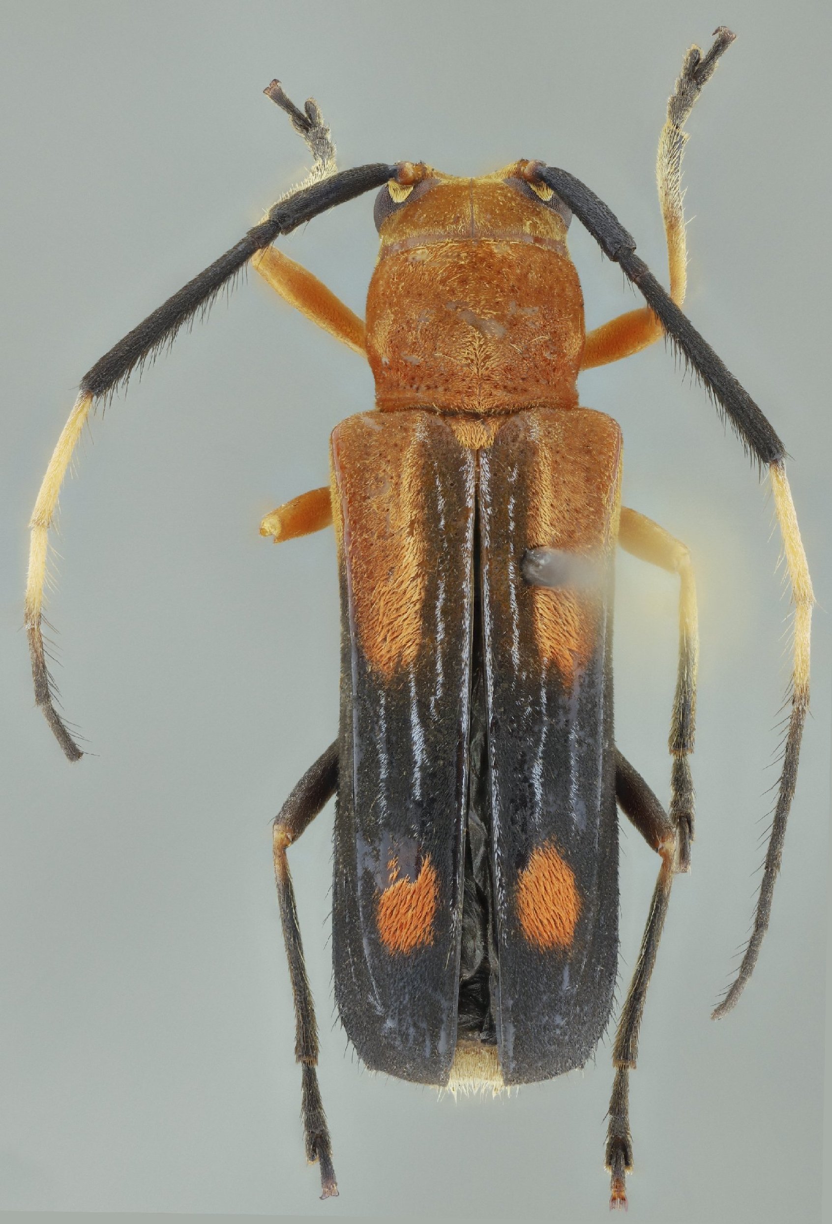
 MZSP SS Ramirez Contamana, Rio Ucayali, Loreto, Peru SS.jpg)
Specimen Type: holotype Sex: f Institution: MZSP Museu de Zoologia da Universidade de São Paulo, Brazil Photographer: Antonio Santos-Silva Collection Location: Contamana, Rio Ucayali, Loreto, Peru 100642
|
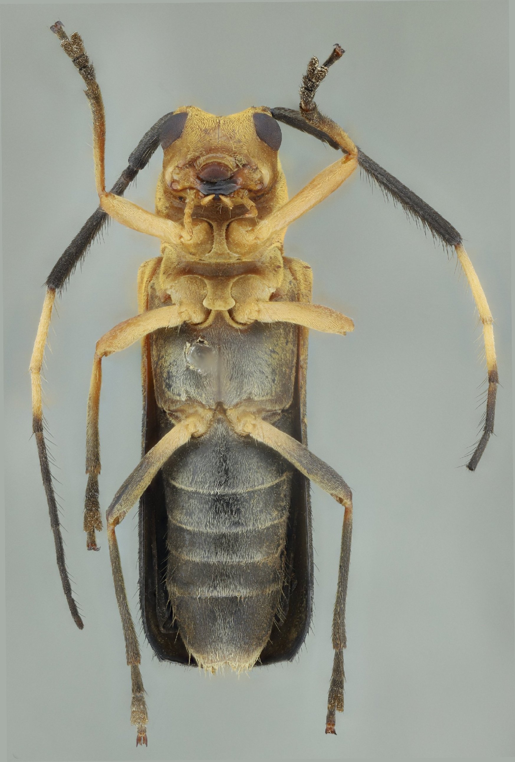
 MZSP SS Ramirez Contamana, Rio Ucayali, Loreto, Peru SS.jpg)
Specimen Type: holotype Sex: f Institution: MZSP Museu de Zoologia da Universidade de São Paulo, Brazil Photographer: Antonio Santos-Silva Collection Location: Contamana, Rio Ucayali, Loreto, Peru 100643
|
 MZSP SS Ramirez Contamana, Rio Ucayali, Loreto, Peru SS.jpg)
Specimen Type: holotype Sex: f Institution: MZSP Museu de Zoologia da Universidade de São Paulo, Brazil Photographer: Antonio Santos-Silva Collection Location: Contamana, Rio Ucayali, Loreto, Peru 100644
|
 MZSP SS Ramirez Contamana, Rio Ucayali, Loreto, Peru SS.jpg)
Specimen Type: holotype Sex: f Institution: MZSP Museu de Zoologia da Universidade de São Paulo, Brazil Photographer: Antonio Santos-Silva Collection Location: Contamana, Rio Ucayali, Loreto, Peru 100645
|
|