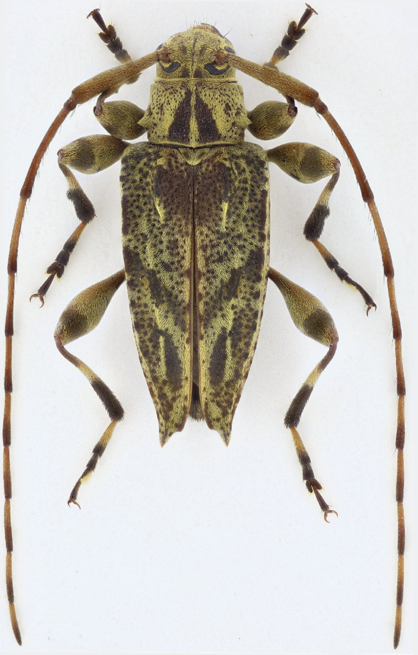
 Vlasak SS MZSP Cerro Tapichalaca, Zamora Chinchipe, Ecuador SS.jpg)
Specimen Type: holotype Sex: m Institution: MZSP Museu de Zoologia da Universidade de São Paulo, Brazil Photographer: Antonio Santos-Silva Collection Location: Cerro Tapichalaca, Zamora Chinchipe, Ecuador 99910
|
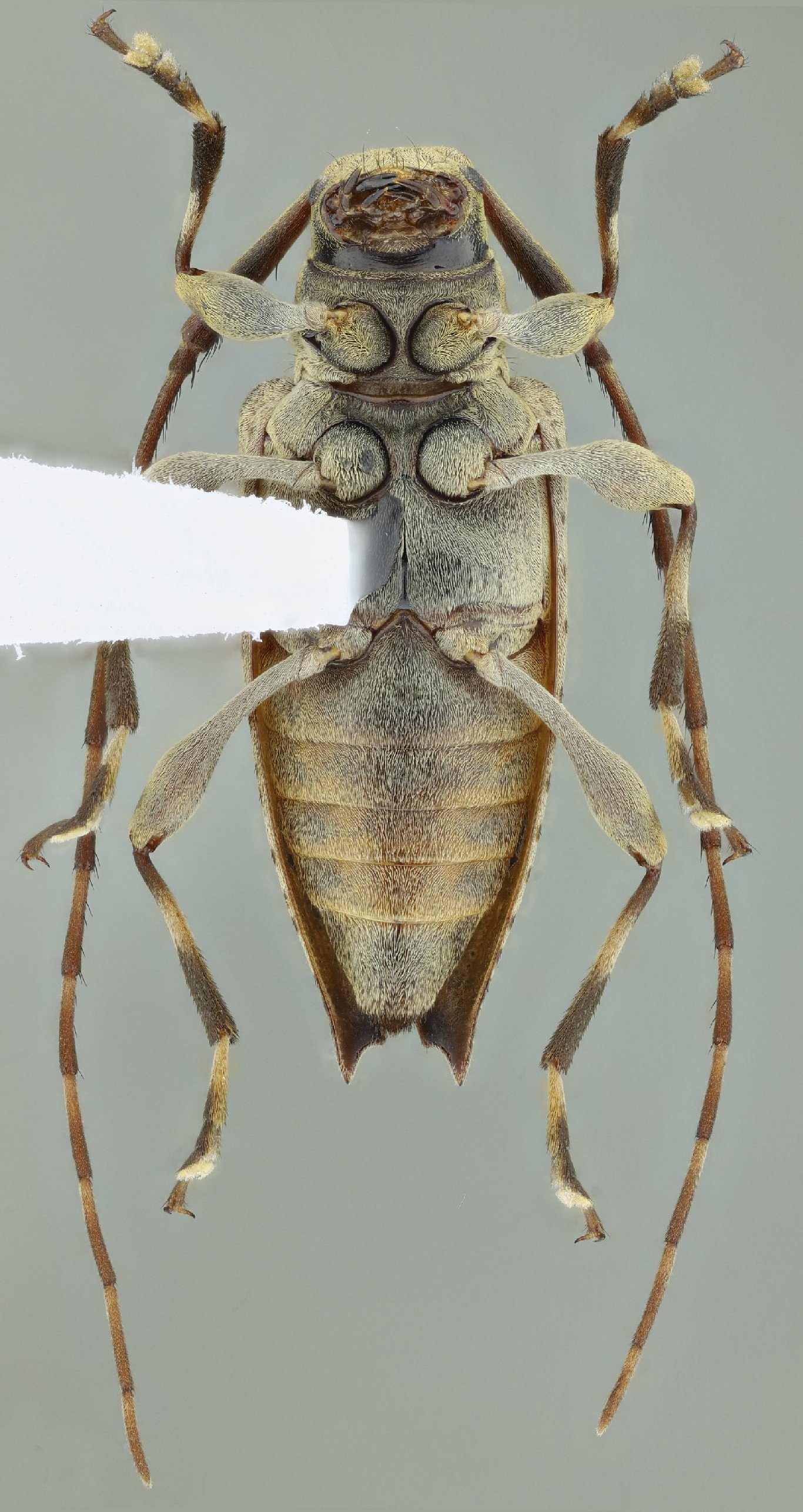
 Vlasak SS MZSP Cerro Tapichalaca, Zamora Chinchipe, Ecuador SS.jpg)
Specimen Type: holotype Sex: m Institution: MZSP Museu de Zoologia da Universidade de São Paulo, Brazil Photographer: Antonio Santos-Silva Collection Location: Cerro Tapichalaca, Zamora Chinchipe, Ecuador 99911
|
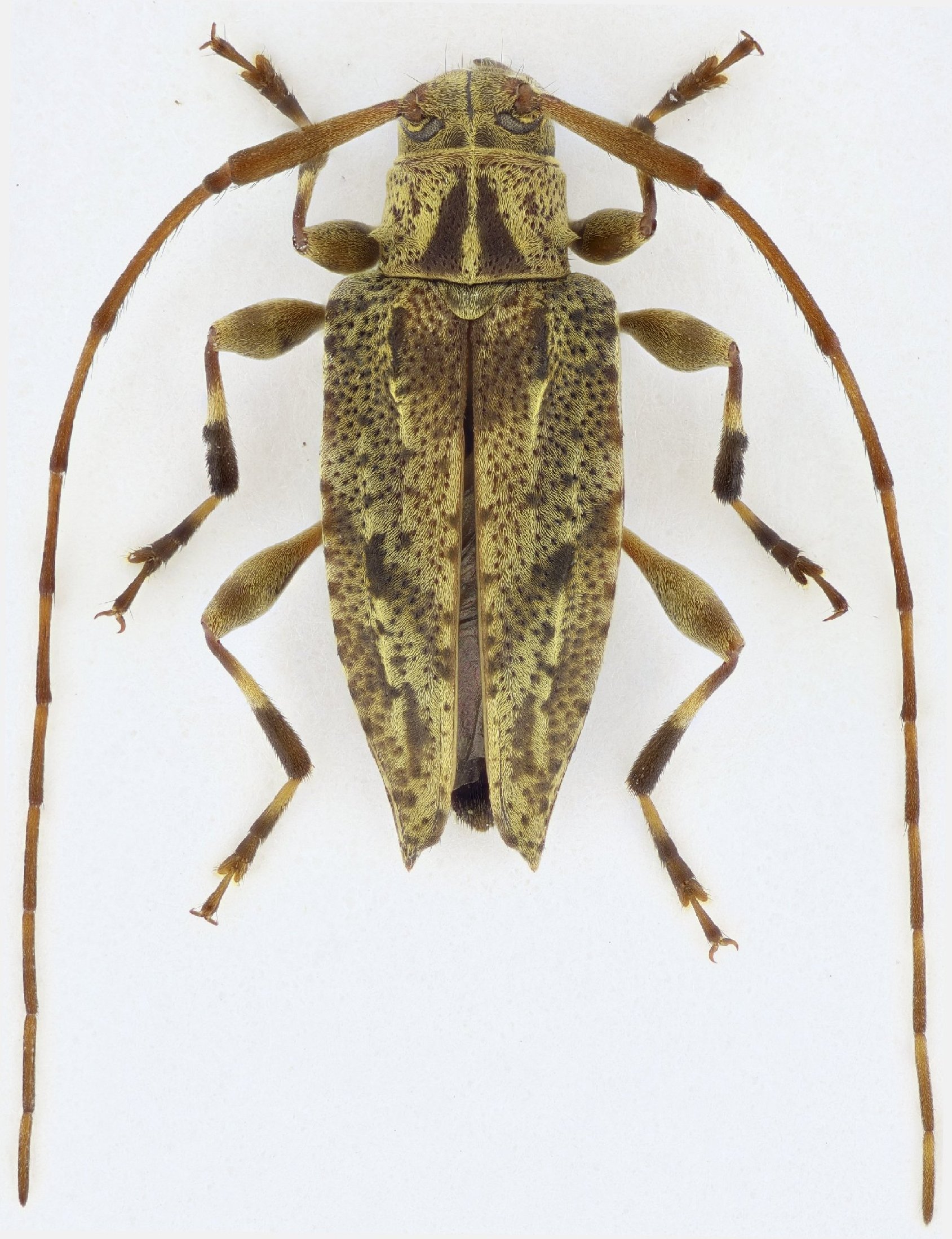
 Vlasak SS MZSP Cerro Tapichalaca, Zamora Chinchipe, Ecuador SS.jpg)
Specimen Type: holotype Sex: m Institution: MZSP Museu de Zoologia da Universidade de São Paulo, Brazil Photographer: Antonio Santos-Silva Collection Location: Cerro Tapichalaca, Zamora Chinchipe, Ecuador 99912
|
 Vlasak SS MZSP Cerro Tapichalaca, Zamora Chinchipe, Ecuador SS.jpg)
Specimen Type: holotype Sex: m Institution: MZSP Museu de Zoologia da Universidade de São Paulo, Brazil Photographer: Antonio Santos-Silva Collection Location: Cerro Tapichalaca, Zamora Chinchipe, Ecuador 99913
|
 Vlasak SS MZSP Cerro Tapichalaca, Zamora Chinchipe, Ecuador SS.jpg)
Specimen Type: paratype Sex: f Institution: MZSP Museu de Zoologia da Universidade de São Paulo, Brazil Photographer: Antonio Santos-Silva Collection Location: Cerro Tapichalaca, Zamora Chinchipe, Ecuador 99914
|
 Vlasak SS MZSP Cerro Tapichalaca, Zamora Chinchipe, Ecuador SS.jpg)
Specimen Type: paratype Sex: f Institution: MZSP Museu de Zoologia da Universidade de São Paulo, Brazil Photographer: Antonio Santos-Silva Collection Location: Cerro Tapichalaca, Zamora Chinchipe, Ecuador 99915
|
 Vlasak coll SS Cerro Tapichalaca, Zamora Chinchipe, Ecuador SS.jpg)
Specimen Type: paratype Sex: m Institution: Vlasak Collection Photographer: Josef Vlasak Collection Location: Cerro Tapichalaca, Zamora Chinchipe, Ecuador 99916
|
 Vlasak coll SS Cerro Tapichalaca, Zamora Chinchipe, Ecuador SS.jpg)
Specimen Type: paratype Sex: m Institution: Vlasak Collection Photographer: Josef Vlasak Collection Location: Cerro Tapichalaca, Zamora Chinchipe, Ecuador 99917
|
 Vlasak coll SS Cerro Tapichalaca, Zamora Chinchipe, Ecuador SS.jpg)
Specimen Type: paratype Sex: f Institution: Vlasak Collection Photographer: Josef Vlasak Collection Location: Cerro Tapichalaca, Zamora Chinchipe, Ecuador 99918
|
 Vlasak coll SS Cerro Tapichalaca, Zamora Chinchipe, Ecuador SS.jpg)
Specimen Type: paratype Sex: f Institution: Vlasak Collection Photographer: Josef Vlasak Collection Location: Cerro Tapichalaca, Zamora Chinchipe, Ecuador 99919
|