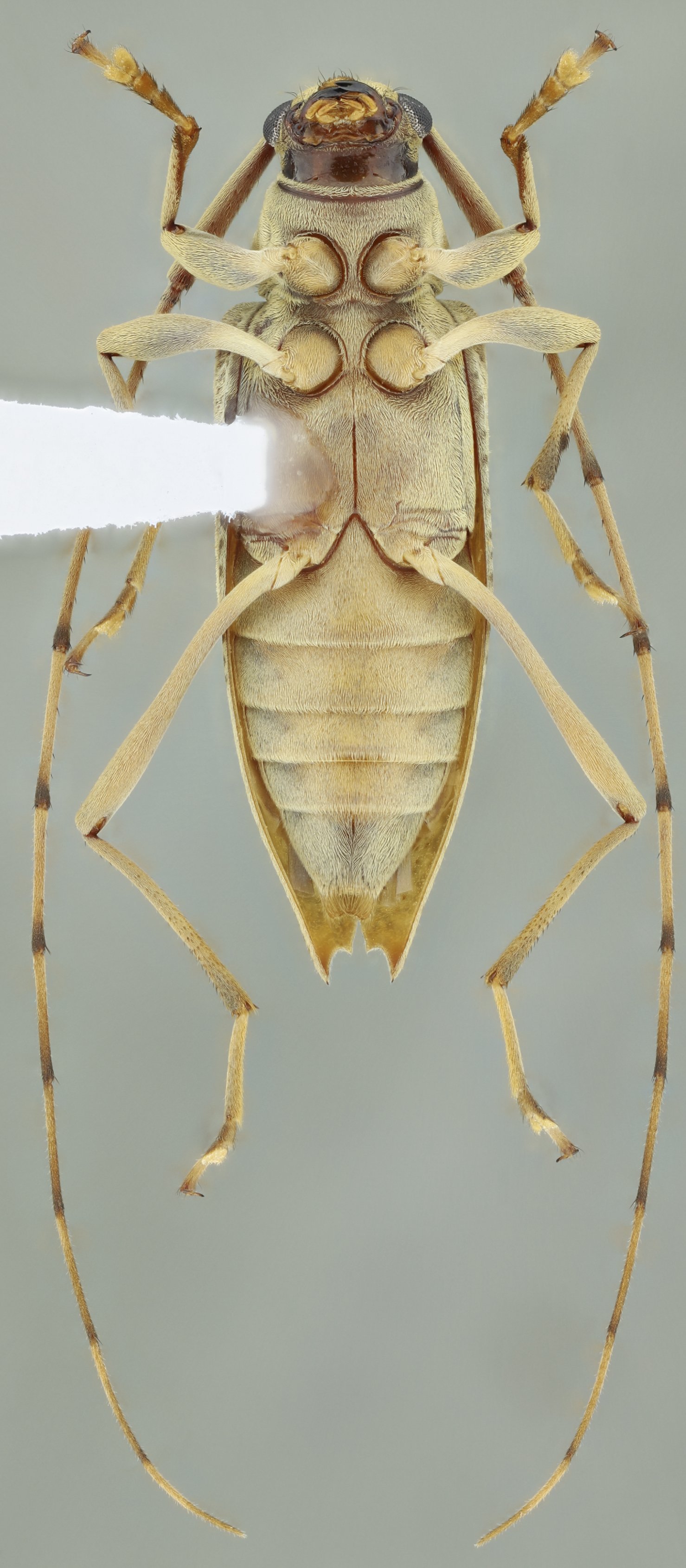
 Vlasak SS MZSP Nanegal, Pichincha, Ecuador SS.jpg)
Specimen Type: holotype Sex: m Institution: MZSP Museu de Zoologia da Universidade de São Paulo, Brazil Photographer: Antonio Santos-Silva Collection Location: Nanegal, Pichincha, Ecuador 99881
|
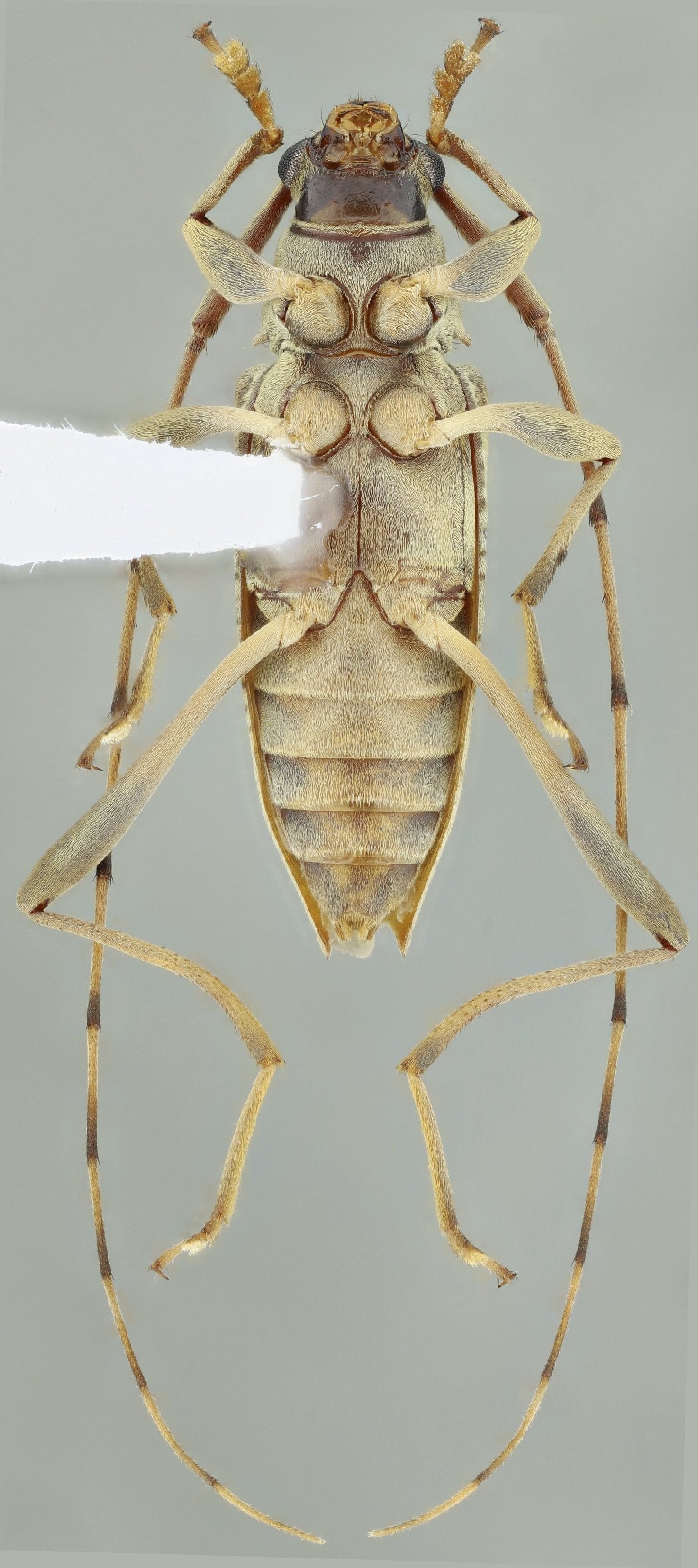
 Vlasak SS MZSP Nanegal, Pichincha, Ecuador SS.jpg)
Specimen Type: holotype Sex: m Institution: MZSP Museu de Zoologia da Universidade de São Paulo, Brazil Photographer: Antonio Santos-Silva Collection Location: Nanegal, Pichincha, Ecuador 99882
|
 Vlasak SS MZSP Nanegal, Pichincha, Ecuador SS.jpg)
Specimen Type: holotype Sex: m Institution: MZSP Museu de Zoologia da Universidade de São Paulo, Brazil Photographer: Antonio Santos-Silva Collection Location: Nanegal, Pichincha, Ecuador 99883
|
 Vlasak SS MZSP Nanegal, Pichincha, Ecuador SS.jpg)
Specimen Type: holotype Sex: m Institution: MZSP Museu de Zoologia da Universidade de São Paulo, Brazil Photographer: Antonio Santos-Silva Collection Location: Nanegal, Pichincha, Ecuador 99884
|
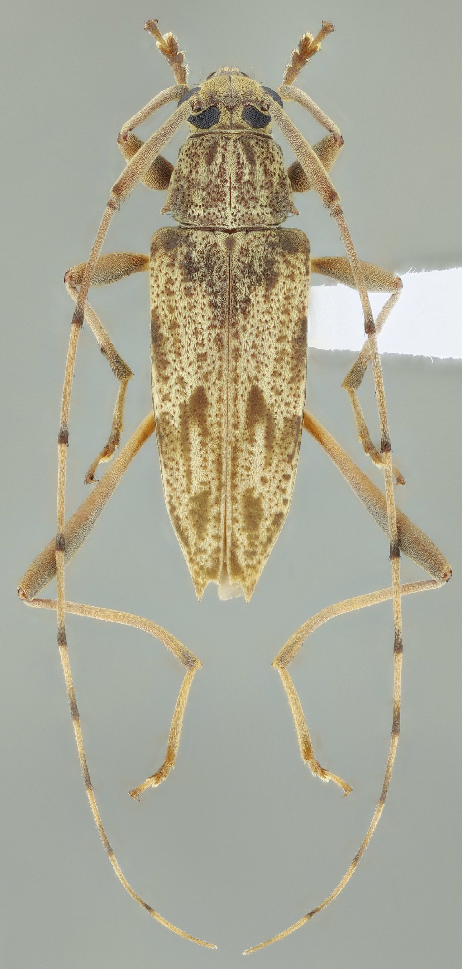
 Vlasak SS MZSP Nanegal, Pichincha, Ecuador SS.jpg)
Specimen Type: paratype Sex: f Institution: MZSP Museu de Zoologia da Universidade de São Paulo, Brazil Photographer: Antonio Santos-Silva Collection Location: Nanegal, Pichincha, Ecuador 99885
|
 Vlasak SS MZSP Nanegal, Pichincha, Ecuador SS.jpg)
Specimen Type: paratype Sex: f Institution: MZSP Museu de Zoologia da Universidade de São Paulo, Brazil Photographer: Antonio Santos-Silva Collection Location: Nanegal, Pichincha, Ecuador 99886
|
|