 FSCA Ferreira et al Hacienda El Manzana Alto, Merida, Venez Gorring pic.jpg)
Specimen Type: holotype Sex: m Institution: FSCA Florida State Collection of Arthropods, Gainesville, FL, USA Photographer: Patrick Gorring Collection Location: Hacienda El Manzana Alto, Merida, Venezuela 99869
|
 FSCA Ferreira et al Hacienda El Manzana Alto, Merida, Venez Gorring pic.jpg)
Specimen Type: holotype Sex: m Institution: FSCA Florida State Collection of Arthropods, Gainesville, FL, USA Photographer: Patrick Gorring Collection Location: Hacienda El Manzana Alto, Merida, Venezuela 99870
|
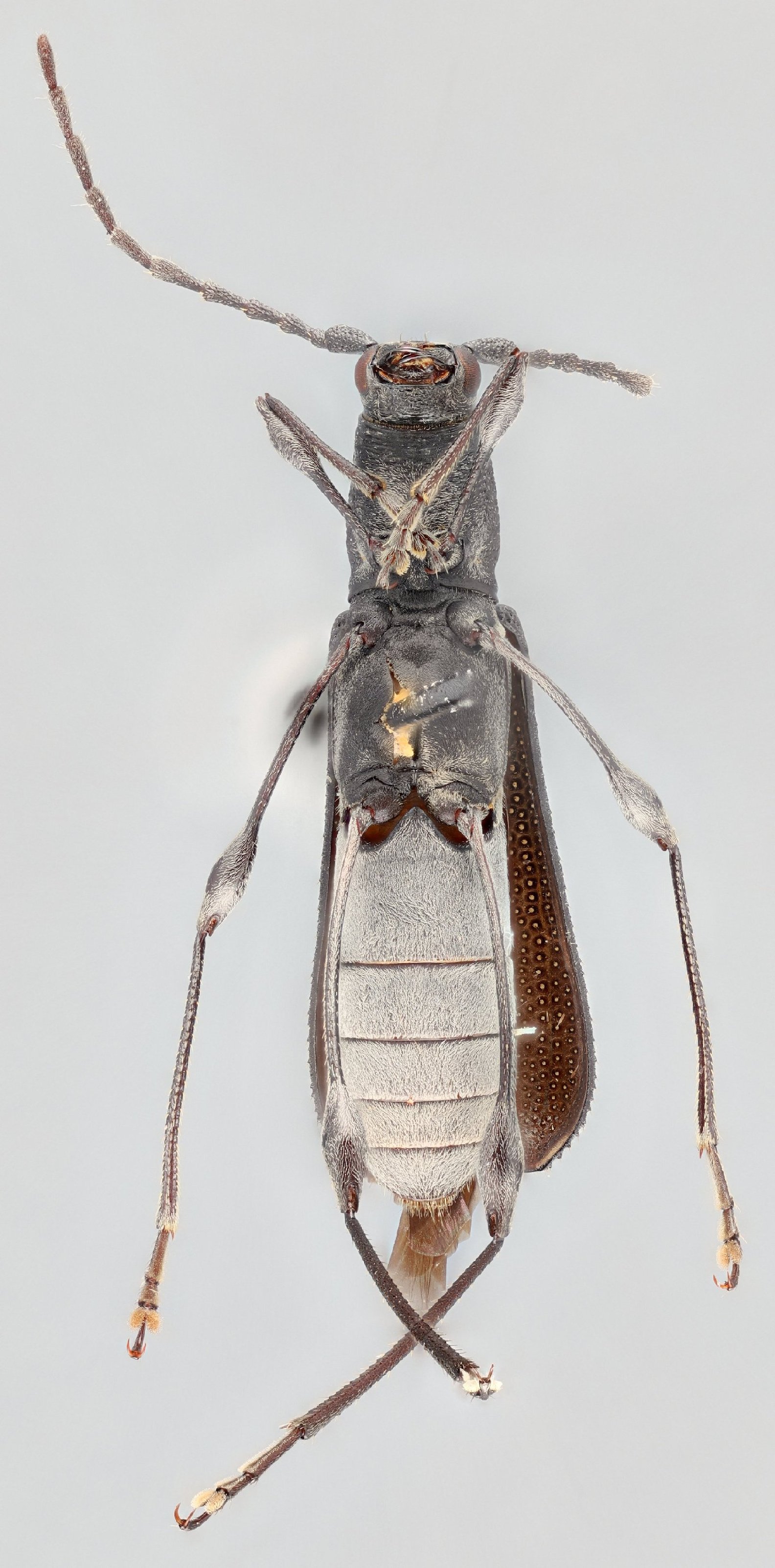
 FSCA Ferreira et al Hacienda El Manzana Alto, Merida, Venez Gorring pic.jpg)
Specimen Type: holotype Sex: m Institution: FSCA Florida State Collection of Arthropods, Gainesville, FL, USA Photographer: Patrick Gorring Collection Location: Hacienda El Manzana Alto, Merida, Venezuela 99871
|
 FSCA Ferreira et al Hacienda El Manzana Alto, Merida, Venez Gorring pic.jpg)
Specimen Type: holotype Sex: m Institution: FSCA Florida State Collection of Arthropods, Gainesville, FL, USA Photographer: Patrick Gorring Collection Location: Hacienda El Manzana Alto, Merida, Venezuela 99872
|
|