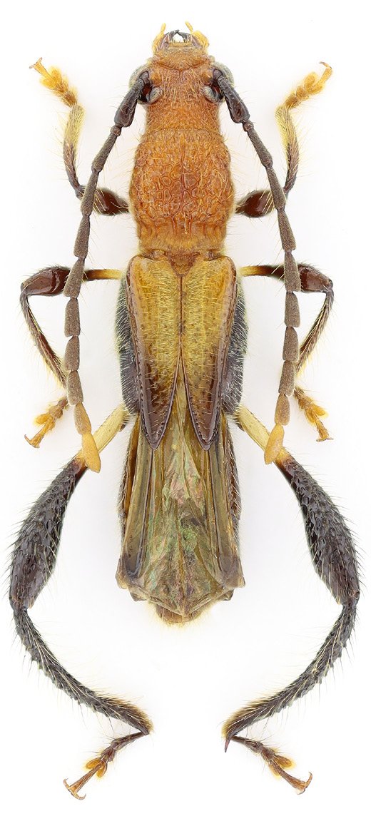
 Viktora Coll Mt Bawang, Borneo, W Kalimantan, Indonesia.jpg)
Specimen Type: holotype Sex: m Institution: Viktora Collection Photographer: Petr Viktora Collection Location: Mt Bawang, Borneo, W Kalimantan, Indonesia 98945
|
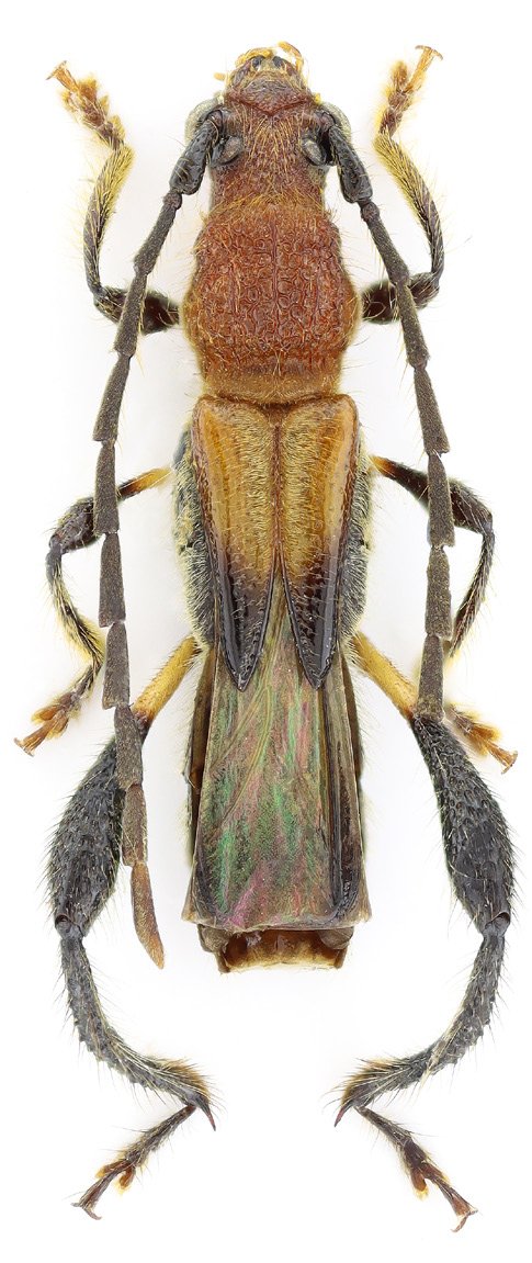
 Viktora Coll Mt Bawang, Borneo, W Kalimantan, Indonesia.jpg)
Specimen Type: paratype Sex: f Institution: Viktora Collection Photographer: Petr Viktora Collection Location: Mt Bawang, Borneo, W Kalimantan, Indonesia 98946
|