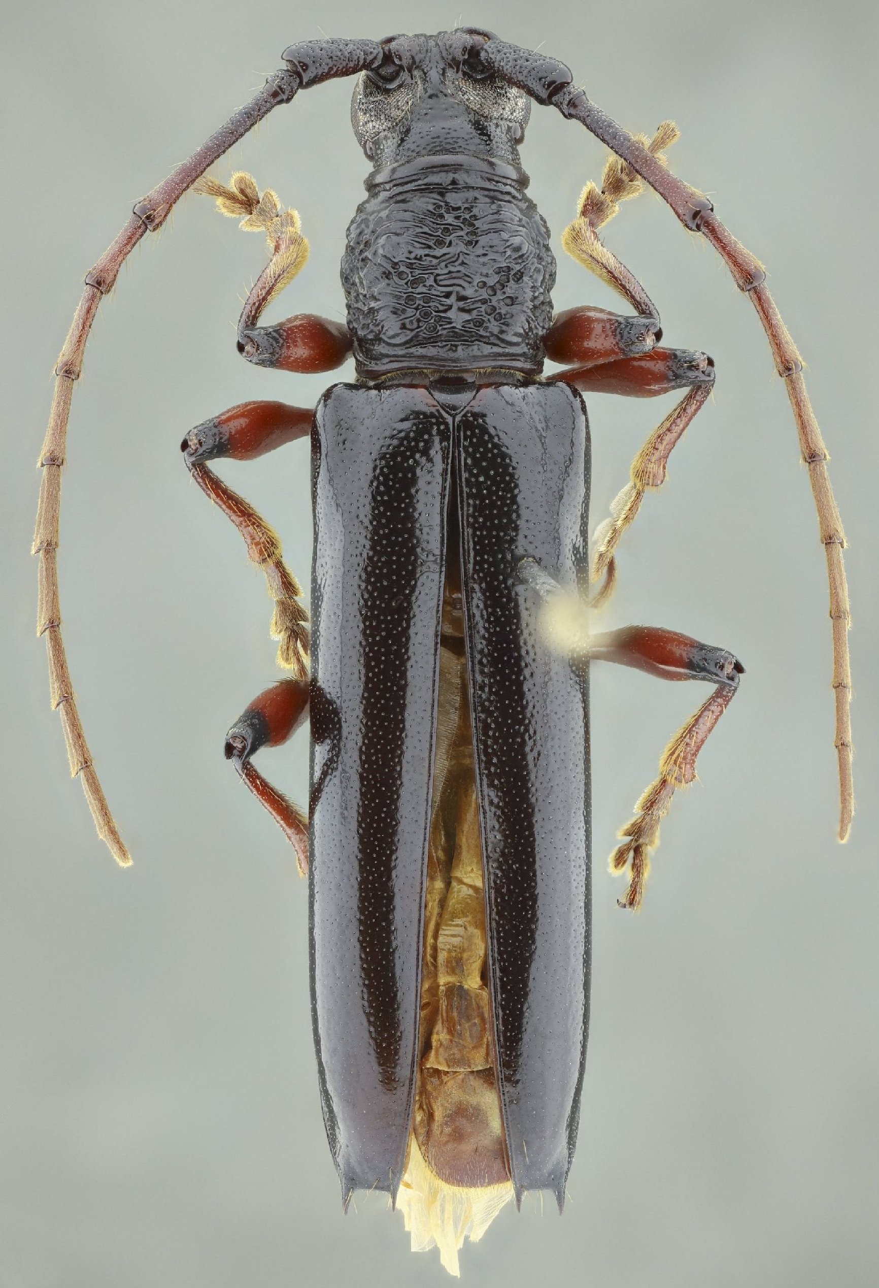
 Carli et al INPA Manaus, Amazonas, Brazil SS.jpg)
Specimen Type: holotype Sex: f Institution: INPA Instituto Nacional de Pesquisas da Amazonia, Manaus, Brazil Photographer: Antonio Santos-Silva Collection Location: Manaus, Amazonas, Brazil 98865
|
 Carli et al INPA Manaus, Amazonas, Brazil SS.jpg)
Specimen Type: holotype Sex: f Institution: INPA Instituto Nacional de Pesquisas da Amazonia, Manaus, Brazil Photographer: Antonio Santos-Silva Collection Location: Manaus, Amazonas, Brazil 98866
|
 Carli et al INPA Manaus, Amazonas, Brazil SS.jpg)
Specimen Type: holotype Sex: f Institution: INPA Instituto Nacional de Pesquisas da Amazonia, Manaus, Brazil Photographer: Antonio Santos-Silva Collection Location: Manaus, Amazonas, Brazil 98867
|
 Carli et al INPA Manaus, Amazonas, Brazil SS.jpg)
Specimen Type: holotype Sex: f Institution: INPA Instituto Nacional de Pesquisas da Amazonia, Manaus, Brazil Photographer: Antonio Santos-Silva Collection Location: Manaus, Amazonas, Brazil 98868
|
|