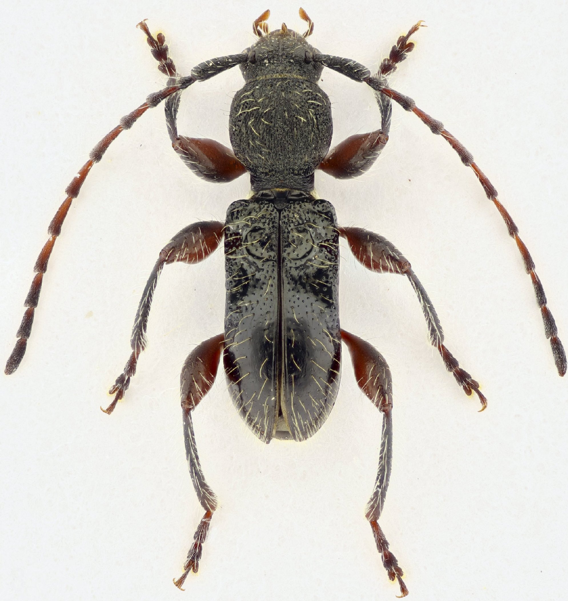
 Vlasak Bot SS MZSP Pacto Sumaco, Napo, Ecuador SS.jpg)
Specimen Type: holotype Sex: f Institution: MZSP Museu de Zoologia da Universidade de São Paulo, Brazil Photographer: Antonio Santos-Silva Collection Location: Pacto Sumaco, Napo, Ecuador 98739
|
 Vlasak Bot SS MZSP Pacto Sumaco, Napo, Ecuador SS.jpg)
Specimen Type: holotype Sex: f Institution: MZSP Museu de Zoologia da Universidade de São Paulo, Brazil Photographer: Antonio Santos-Silva Collection Location: Pacto Sumaco, Napo, Ecuador 98740
|
 Vlasak Bot SS MZSP Pacto Sumaco, Napo, Ecuador SS.jpg)
Specimen Type: holotype Sex: f Institution: MZSP Museu de Zoologia da Universidade de São Paulo, Brazil Photographer: Antonio Santos-Silva Collection Location: Pacto Sumaco, Napo, Ecuador 98741
|
 Vlasak Bot SS MZSP Pacto Sumaco, Napo, Ecuador SS.jpg)
Specimen Type: holotype Sex: f Institution: MZSP Museu de Zoologia da Universidade de São Paulo, Brazil Photographer: Antonio Santos-Silva Collection Location: Pacto Sumaco, Napo, Ecuador 98742
|
 Vlasak Bot SS JVCO Pacto Sumaco, Napo, Ecuador SS.jpg)
Specimen Type: paratype Sex: m Institution: Vlasak Collection Photographer: Josef Vlasak Collection Location: Pacto Sumaco, Napo, Ecuador 98743
|
|