 Nasc et al MUBI San Pedro, Cusco, Peru.jpg)
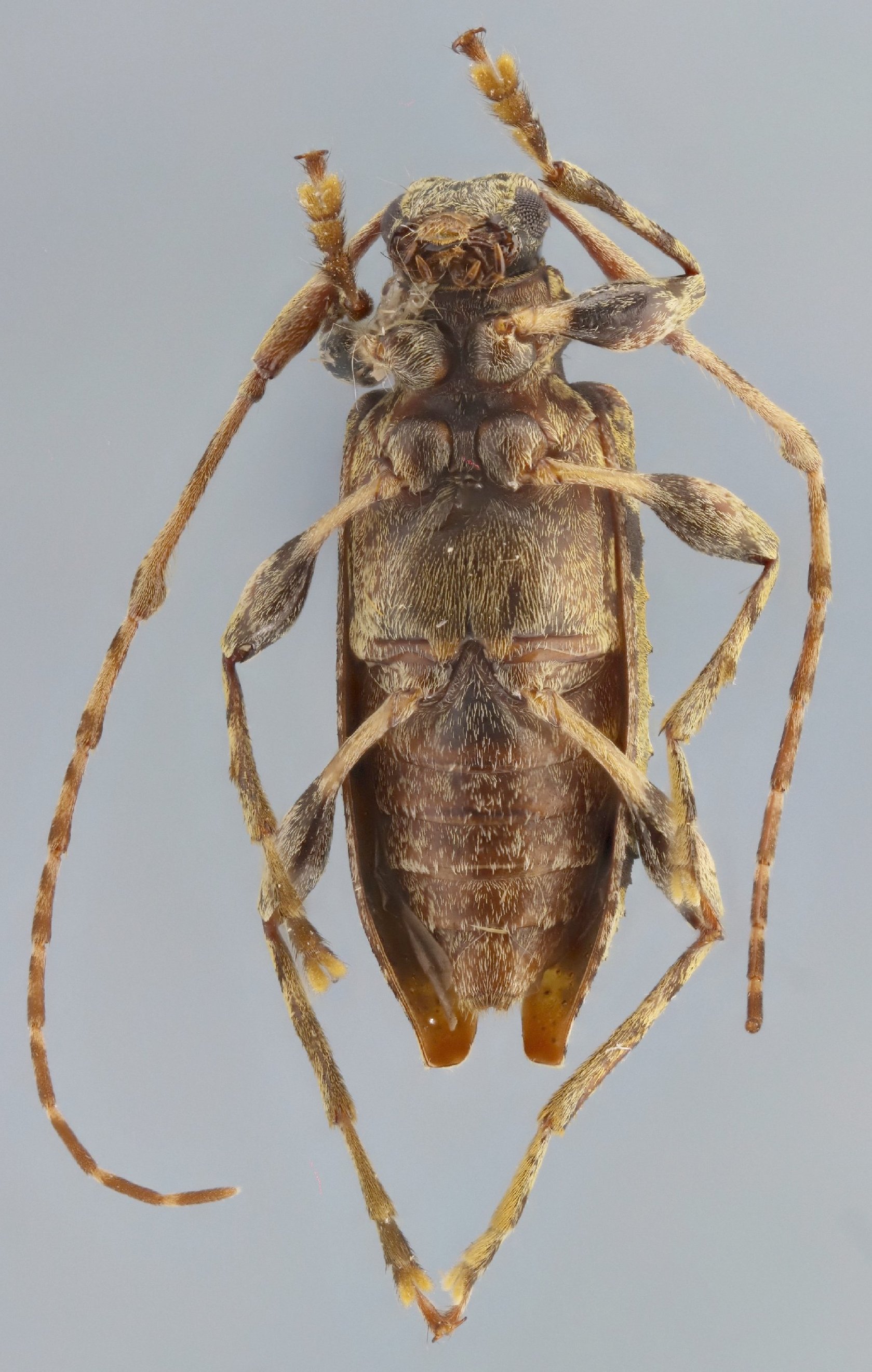
Specimen Type: holotype Sex: m Institution: MUBI Museo de Biodiversidad del Peru, Cusco, Peru Photographer: Francisco Nascimento Collection Location: San Pedro, Cusco, Peru 98707
|
 Nasc et al MUBI San Pedro, Cusco, Peru.jpg)
Specimen Type: holotype Sex: m Institution: MUBI Museo de Biodiversidad del Peru, Cusco, Peru Photographer: Francisco Nascimento Collection Location: San Pedro, Cusco, Peru 98708
|
 Nasc et al MUBI San Pedro, Cusco, Peru.jpg)
Specimen Type: holotype Sex: m Institution: MUBI Museo de Biodiversidad del Peru, Cusco, Peru Photographer: Francisco Nascimento Collection Location: San Pedro, Cusco, Peru 98709
|
 Nasc et al MUBI San Pedro, Cusco, Peru.jpg)
Specimen Type: holotype Sex: m Institution: MUBI Museo de Biodiversidad del Peru, Cusco, Peru Photographer: Francisco Nascimento Collection Location: San Pedro, Cusco, Peru 98710
|
|