 Heff SS TAMU Finca Miramundo, Santa Rosa, Guatemala SS.jpg)
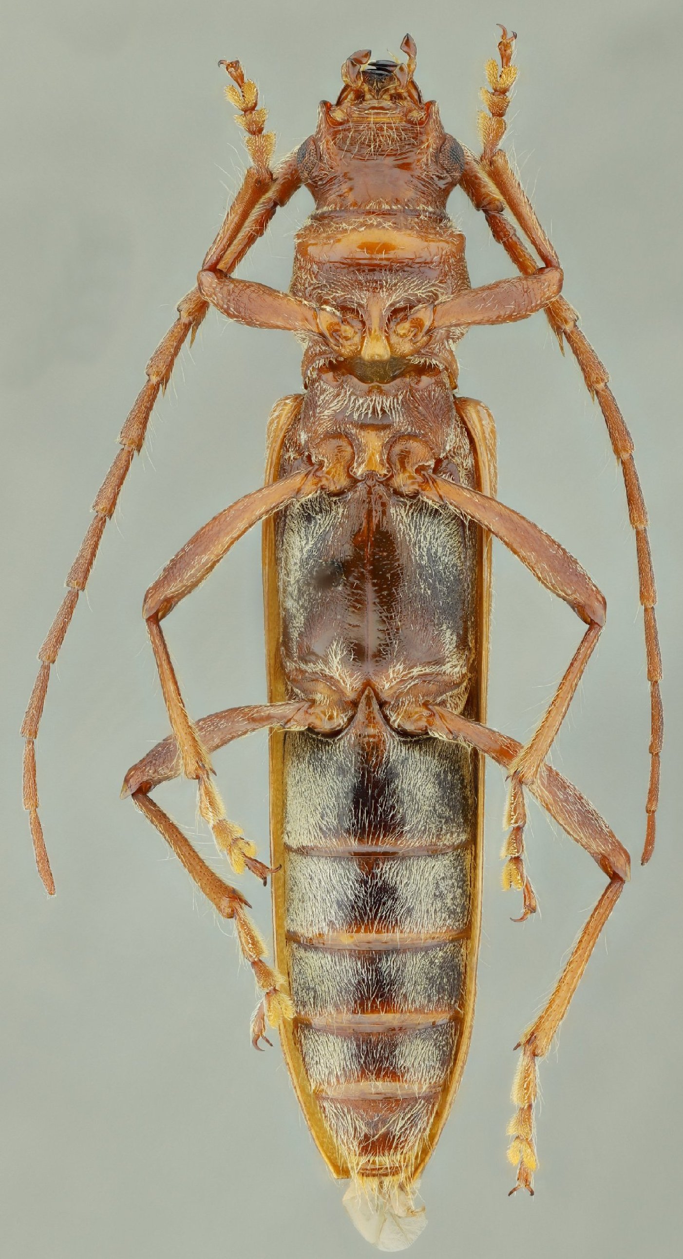
Specimen Type: holotype Sex: f Institution: TAMU Texas A & M University, College Station, Texas, USA Photographer: Antonio Santos-Silva Collection Location: Finca Miramundo, Santa Rosa, Guatemala 96779
|
 Heff SS TAMU Finca Miramundo, Santa Rosa, Guatemala SS.jpg)
Specimen Type: holotype Sex: f Institution: TAMU Texas A & M University, College Station, Texas, USA Photographer: Antonio Santos-Silva Collection Location: Finca Miramundo, Santa Rosa, Guatemala 96780
|
 Heff SS TAMU Finca Miramundo, Santa Rosa, Guatemala SS.jpg)
Specimen Type: holotype Sex: f Institution: TAMU Texas A & M University, College Station, Texas, USA Photographer: Antonio Santos-Silva Collection Location: Finca Miramundo, Santa Rosa, Guatemala 96781
|
 Heff SS TAMU Finca Miramundo, Santa Rosa, Guatemala SS.jpg)
Specimen Type: holotype Sex: f Institution: TAMU Texas A & M University, College Station, Texas, USA Photographer: Antonio Santos-Silva Collection Location: Finca Miramundo, Santa Rosa, Guatemala 96782
|
|