New Search Family, Subfamily and Tribe List

SubFamily Lamiinae

Tribe Desmiphorini
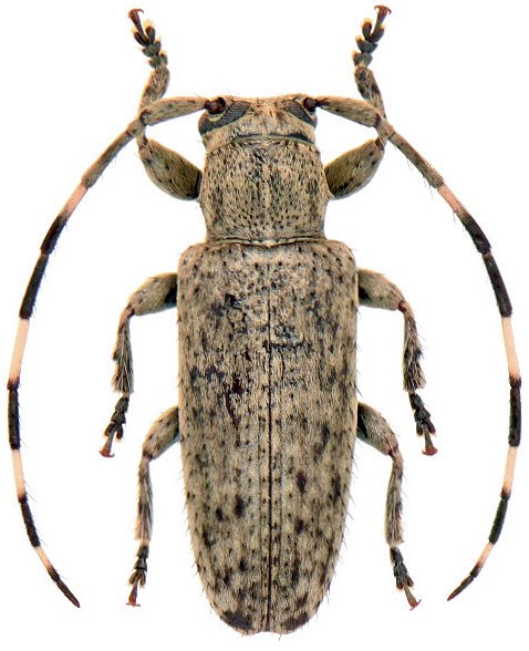
Estola binigromaculata Roguet 2024

Specimen Type: holotype
Sex: f
Institution: Roguet Collection
Photographer: JP Roguet, https://lamiinae.org
Collection Location: pk 24 Kaw, French Guiana
96764

130425