 Audureau coll vic Torreon, Coahuila, Mexico.jpg)
Specimen Type: holotype Sex: f Institution: Audureau Collection Photographer: Alain Audureau Collection Location: vic Torreon, Coahuila, Mexico 96640
|
 Audureau coll vic Torreon, Coahuila, Mexico.jpg)
Specimen Type: holotype Sex: f Institution: Audureau Collection Photographer: Alain Audureau Collection Location: vic Torreon, Coahuila, Mexico 96641
|
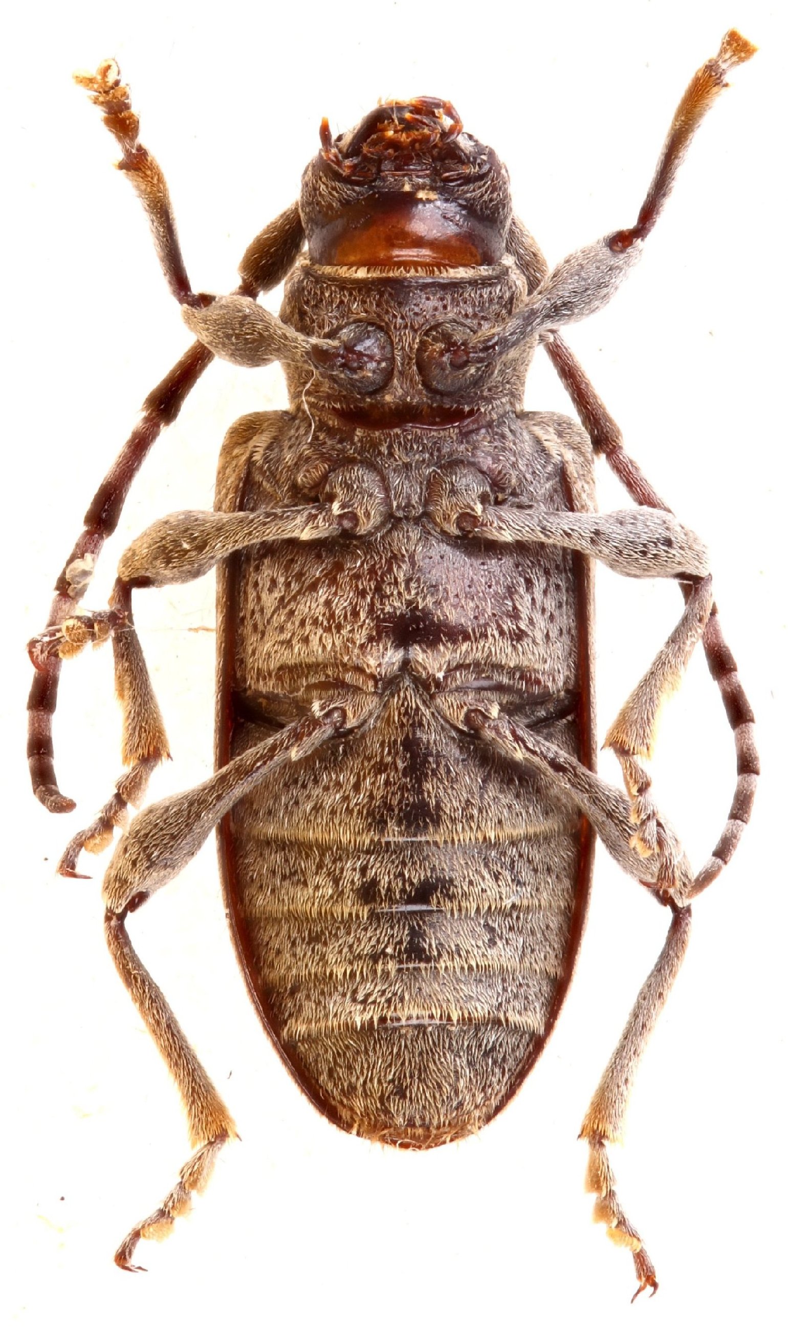
 Audureau coll vic Torreon, Coahuila, Mexico.jpg)
Specimen Type: holotype Sex: f Institution: Audureau Collection Photographer: Alain Audureau Collection Location: vic Torreon, Coahuila, Mexico 96642
|
|