New Search Family, Subfamily and Tribe List

SubFamily Lepturinae

Tribe Lepturini
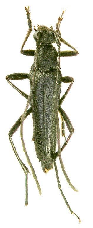
Paranaspia vietnamica Vives 2024

Specimen Type: holotype
Sex: m
Institution: Vives Collection
Photographer: Eduard Vives
Collection Location: Lai Chau, Vietnam
96281

130425