 Viktora Coll 31 km NW Juizhaigou, Sichuan Province, China.jpg)
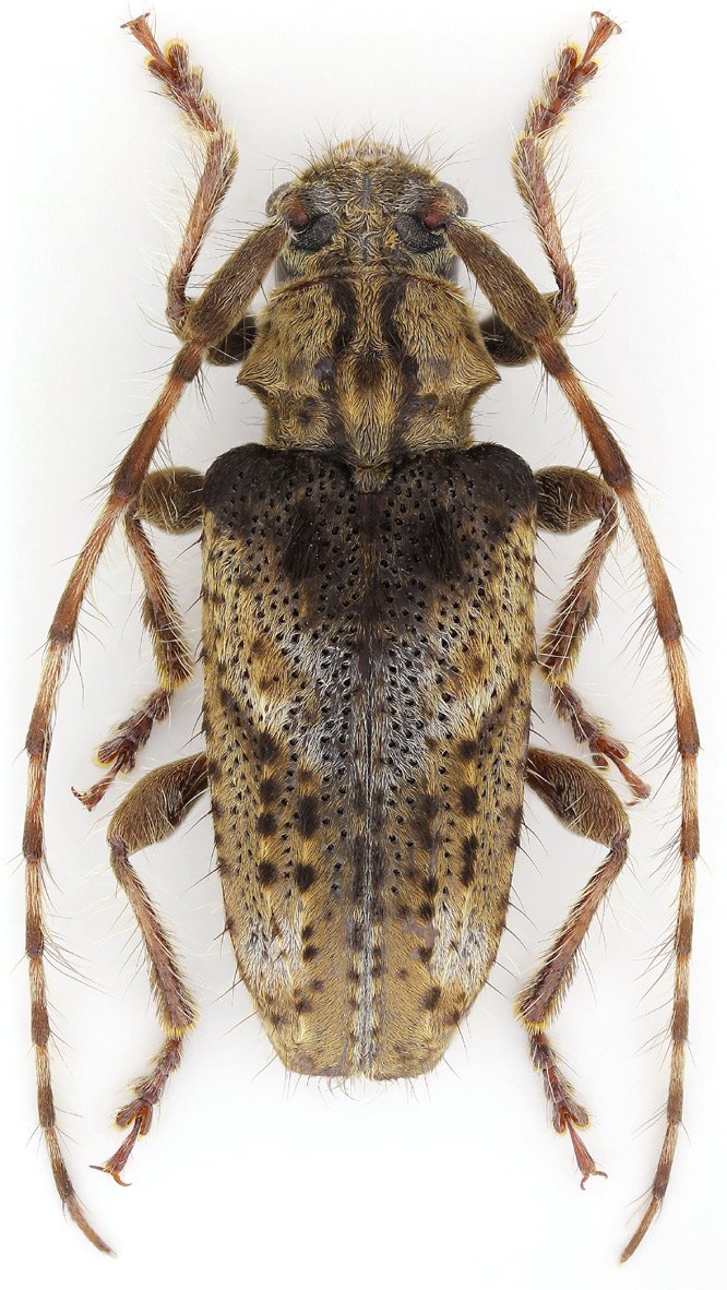
Specimen Type: holotype Sex: f Institution: Viktora Collection Photographer: Petr Viktora Collection Location: 31 km NW Juizhaigou, Sichuan Province, China 96210
|
 Viktora Coll 31 km NW Juizhaigou, Sichuan Province, China.jpg)
Specimen Type: holotype Sex: f Institution: Viktora Collection Photographer: Petr Viktora Collection Location: 31 km NW Juizhaigou, Sichuan Province, China 96211
|