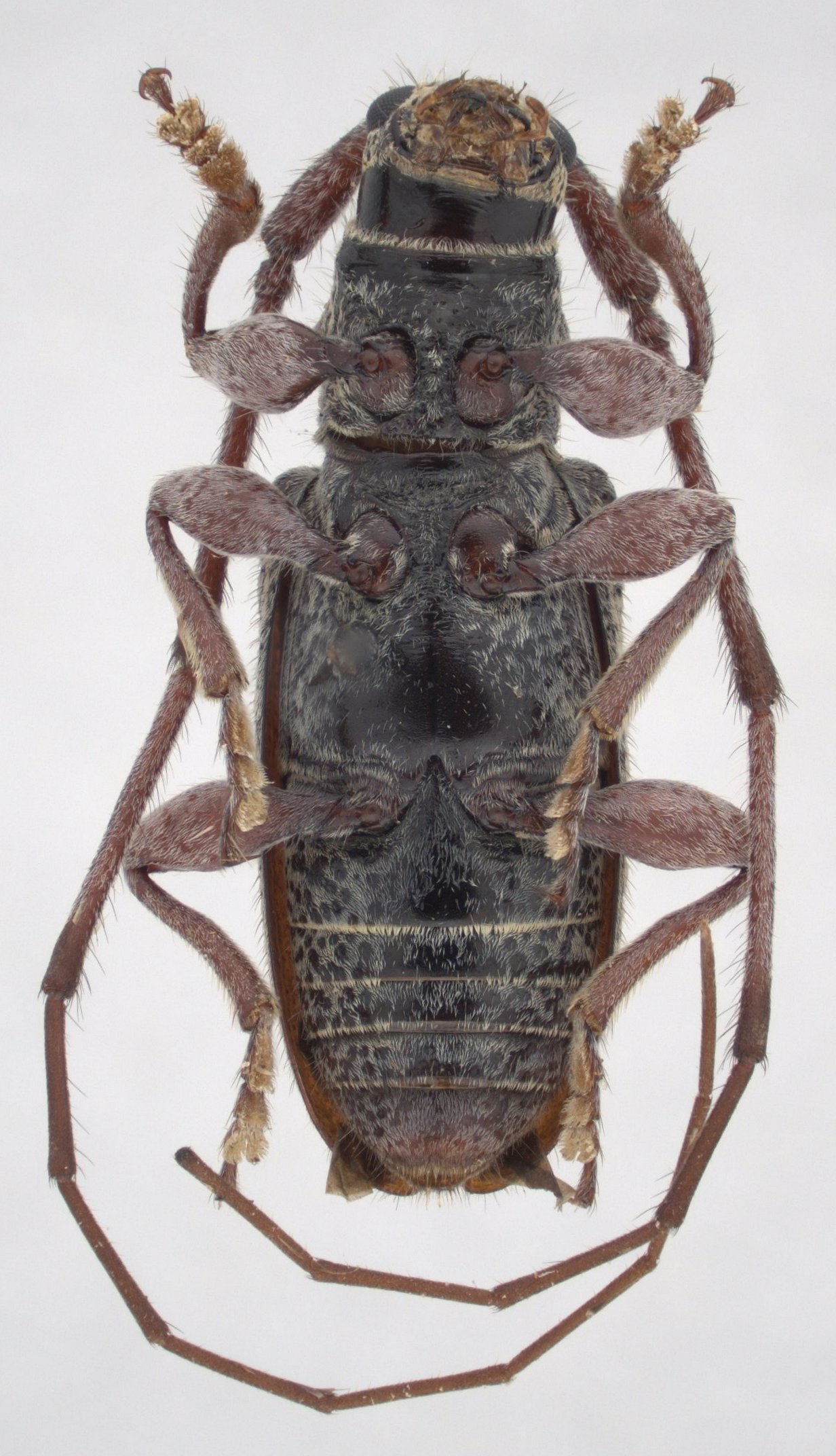
 Perez_Flores Toledo CIUM 3 km W Laguna Belgica, Ocozocoautla, Chiapas, Mexico.jpg)
Specimen Type: holotype Sex: m Institution: CIUM Colección de Insectos de la Universidad Autónoma del Estado de Morelos, Mexico Photographer: Oscar Perez-Flores Collection Location: 3 km W Laguna Belgica, Ocozocoautla, Chiapas, Mexico 96092
|
 Perez_Flores Toledo CIUM 3 km W Laguna Belgica, Ocozocoautla, Chiapas, Mexico.jpg)
Specimen Type: holotype Sex: m Institution: CIUM Colección de Insectos de la Universidad Autónoma del Estado de Morelos, Mexico Photographer: Oscar Perez-Flores Collection Location: 3 km W Laguna Belgica, Ocozocoautla, Chiapas, Mexico 96093
|
 Perez_Flores Toledo CIUM 3 km W Laguna Belgica, Ocozocoautla, Chiapas, Mexico.jpg)
Specimen Type: holotype Sex: m Institution: CIUM Colección de Insectos de la Universidad Autónoma del Estado de Morelos, Mexico Photographer: Oscar Perez-Flores Collection Location: 3 km W Laguna Belgica, Ocozocoautla, Chiapas, Mexico 96094
|
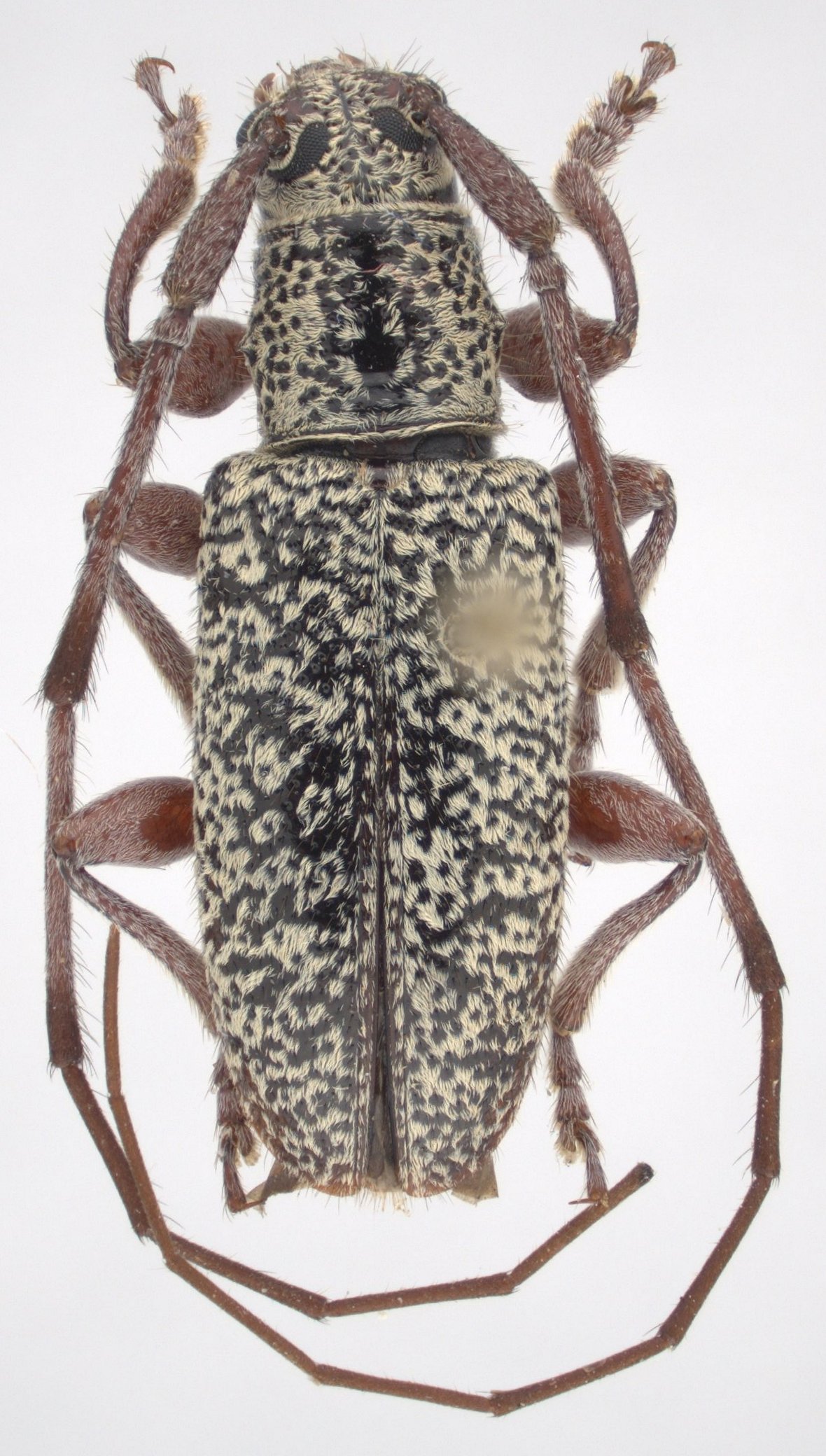
 Perez_Flores Toledo CIUM 3 km W Laguna Belgica, Ocozocoautla, Chiapas, Mexico.jpg)
Specimen Type: paratype Sex: f Institution: CIUM Colección de Insectos de la Universidad Autónoma del Estado de Morelos, Mexico Photographer: Oscar Perez-Flores Collection Location: 3 km W Laguna Belgica, Ocozocoautla, Chiapas, Mexico 96095
|
|