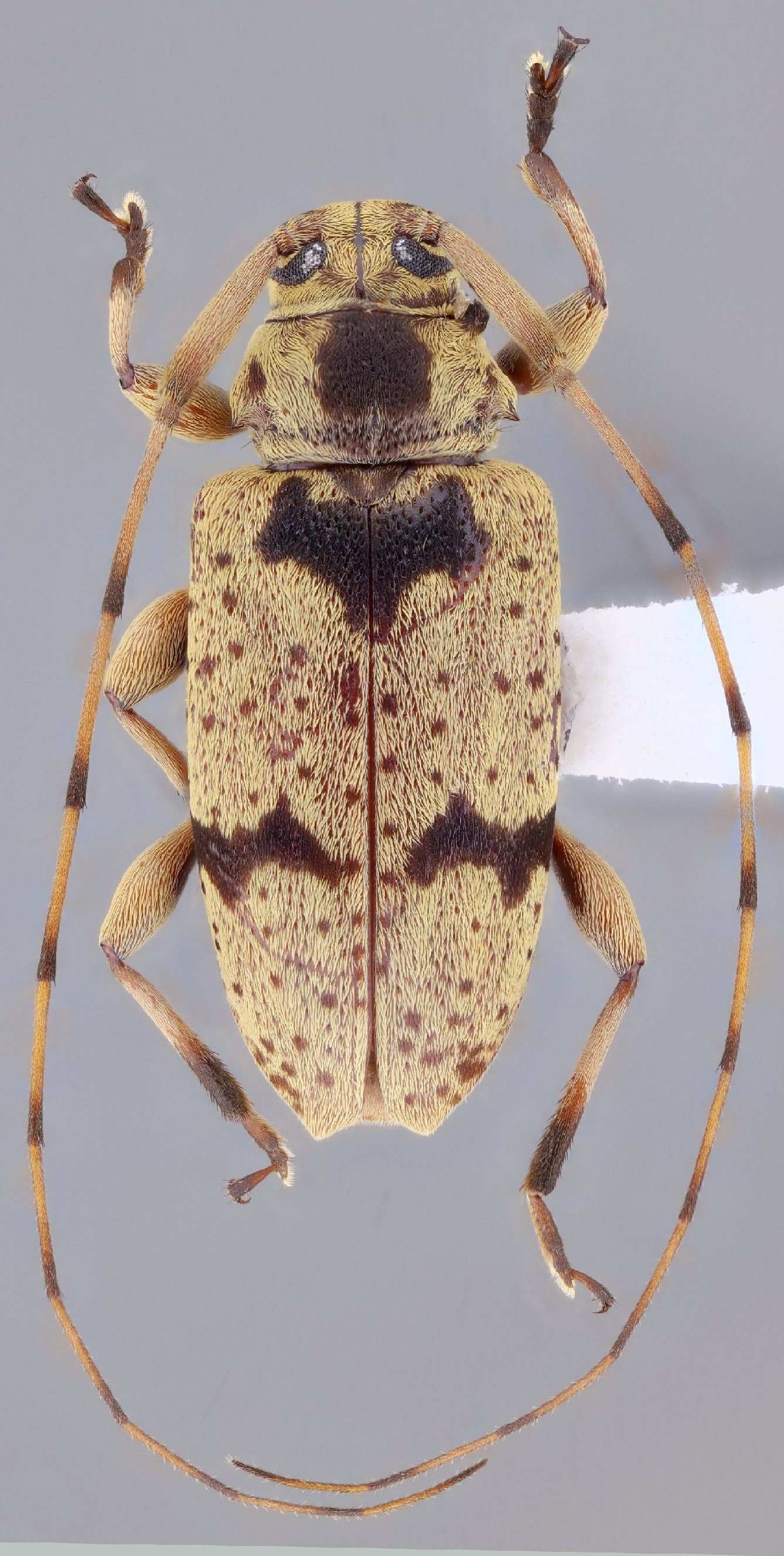
 FSCA 3.7 km SSE Buena Vista, Flor Faun Hot, SC Bolivia SS.jpg)
Specimen Type: holotype Sex: f Institution: FSCA Florida State Collection of Arthropods, Gainesville, FL, USA Photographer: Antonio Santos-Silva Collection Location: 3.7 km SSE Buena Vista, Flora & Fauna Hotel, Santa Cruz, Bolivia 95950
|
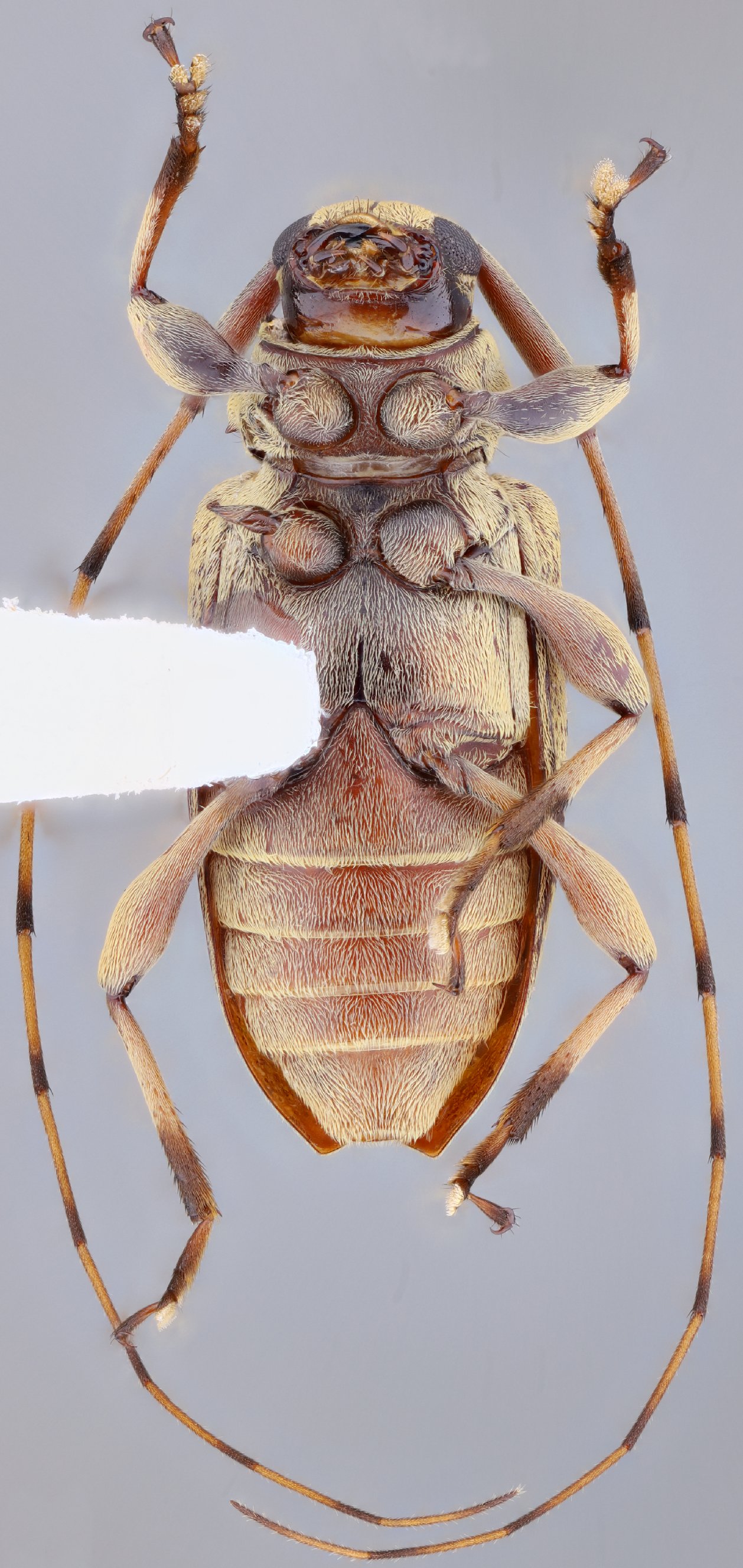
 FSCA 3.7 km SSE Buena Vista, Flor Faun Hot, SC Bolivia SS.jpg)
Specimen Type: holotype Sex: f Institution: FSCA Florida State Collection of Arthropods, Gainesville, FL, USA Photographer: Antonio Santos-Silva Collection Location: 3.7 km SSE Buena Vista, Flora & Fauna Hotel, Santa Cruz, Bolivia 95951
|
 FSCA 3.7 km SSE Buena Vista, Flor Faun Hot, SC Bolivia SS.jpg)
Specimen Type: holotype Sex: f Institution: FSCA Florida State Collection of Arthropods, Gainesville, FL, USA Photographer: Antonio Santos-Silva Collection Location: 3.7 km SSE Buena Vista, Flora & Fauna Hotel, Santa Cruz, Bolivia 95952
|
 FSCA 3.7 km SSE Buena Vista, Flor Faun Hot, SC Bolivia SS.jpg)
Specimen Type: holotype Sex: f Institution: FSCA Florida State Collection of Arthropods, Gainesville, FL, USA Photographer: Antonio Santos-Silva Collection Location: 3.7 km SSE Buena Vista, Flora & Fauna Hotel, Santa Cruz, Bolivia 95953
|
|